Loading...

Kelseyville, CA, 95451 • 95451 • Lake County
0.2 acLot
Waterfront Property
Direct water access
Scenic Views
Water · City · Mountain
Demand and pricing signals for this listing
1 views
People checking out this listing
4465 days on market
Established listing
Lot
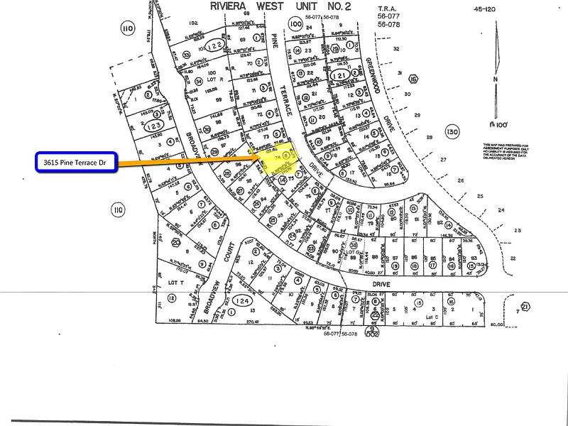
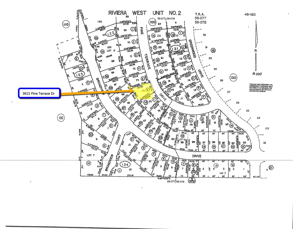
KELSEYVILLE LOT, LAKE COUNTY, CALIFORNIA, 3615 Pine Terrace Dr.,CA 95451. Breathtaking Lakeviews from the slopes of Mt Konocti in the sought-after Riviera West subdivision. Easily build a two level home to get the room you need, with amazing panoramic views. Get in now before the coming escalation in land prices. Water & power at the street. Owner will finance the property. Lake County in Northern California is next to Napa and Sonoma Valleys, and picturesque wine country. Lake County has the cleanest air in the state and is the only county in California to have met state and federal air quality standards for over 10 years in a row. Lake County is a destination for the outdoor enthusiast with a wide range of trails for hiking, biking, and off-road adventures and many lakes for fishing, kayaking, and wakeboarding; for the nature lover with parks, preserves, and open spaces for viewing many types of birds, animals, and native plants; for the history buff with numerous museums, landmarks, pioneer towns, and Pomo culture; and it is a destination for the wine lover with some of California’s newest appellations, award-winning wines, and friendly wineries. Major national bass tournament tours are held at Clear Lake, as well as local and amateur tournaments, where the average tournament-winning weight can be more than 5 pounds, a weight unmatched by any other lake in the nation. Clear Lake has earned a reputation for being home to “monster bass,” and those in the know refer to Clear Lake as the “Bass Capital of the West. Owner financing available. $1,000 down. Monthly Payments of only $249./ mo
Based on current rates
Est. 6.75% rate · 30yr fixed · $8,748 loan
Full calculator →Key facts and listing details
1 category of property features
Market data and value estimates
3 schools rated nearby
Kelseyville, CA, 95451
7 events
25 years of records
Local context around this listing
Kelseyville, CA • Lake County
Nearby cities
Nearby zip codes
No obligation · Same-day response