Loading...

Pasadena, CA, 91105 • South Arroyo • Los Angeles County
0.42 acLot
Waterfront Property
None
Hills Views
Hills
Demand and pricing signals for this listing
107 views
People checking out this listing
3 saves
Buyers have saved this home
108 days on market
Established listing
Lot
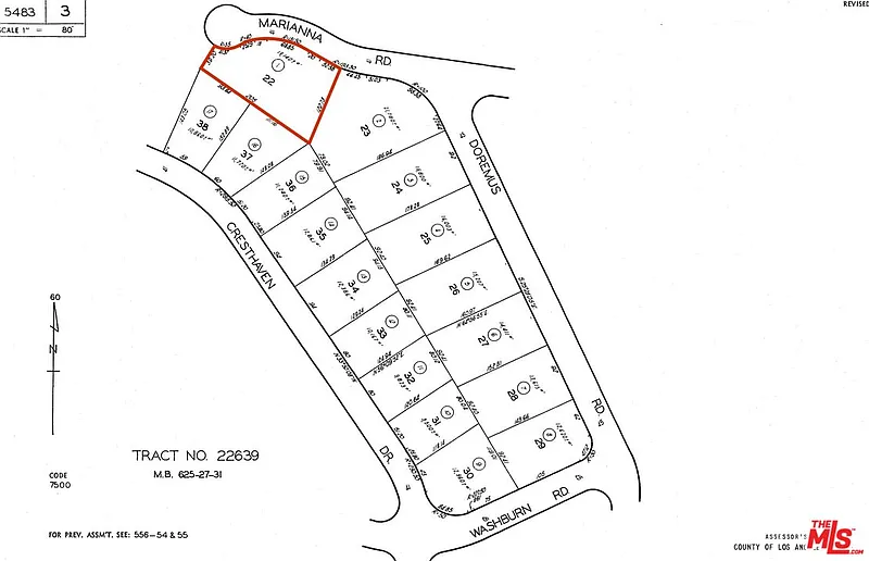
An incredible opportunity to build your dream home in the heart of Pasadena! This expansive approximately 18,367 SF lot, zoned PSR6, is ideally situated at the end of a peaceful cul-de-sac with beautiful hill views. The seller previously completed a survey, soils report, and old plans, which are available upon request- offering a head start for your future build. This is the last remaining buildable lot on the street, making it a truly rare find. Perfectly located in Pasadena's desirable South Arroyo area, the property provides convenient access to local shops, restaurants, and parks, and is just a short drive from Downtown Pasadena, Highland Park, and major freeways for easy commuting.
Based on current rates
Est. 6.48% rate · 30yr fixed · $719,200 loan
Full calculator →Key facts and listing details
2 categories of property features
Market data and value estimates
2 schools rated nearby
Pasadena, CA, 91105
3 events
24 years of records
Local context around this listing
Pasadena, CA • Los Angeles County
Nearby neighborhoods
Nearby cities
Nearby zip codes
© 2026 The MLS™ - Combined L.A. Westside MLS (CLAW). All rights reserved. Based on information from The MLS™ - Combined L.A. Westside MLS (CLAW as of 2026-03-27 06:32:46 PDT. All data, including all measurements and calculations of area, is obtained from various sources and has not been, and will not be, verified by broker or MLS. All information should be independently reviewed and verified for accuracy. Properties may or may not be listed by the office/agent presenting the information. IDX information is provided exclusively for personal, non-commercial use, and may not be used for any purpose other than to identify prospective properties consumers may be interested in purchasing. Information is deemed reliable but not guaranteed.
No obligation · Same-day response