Loading...

Independence, KY, 41051 • 41051 • Kenton County
0.91 acLot
Demand and pricing signals for this listing
15 views
People checking out this listing
467 days on market
Established listing
Lot
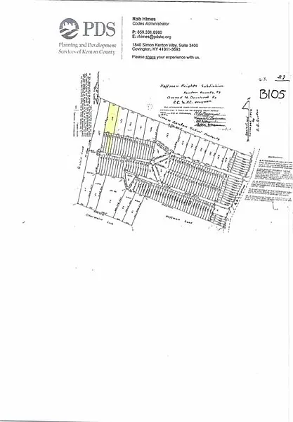
This private lot in Independence is at the end of a cul-de-sac in a quiet residential neighborhood of Hoffman Heights. The back yard is approximately 500 feet long and looks into woods. Water and electric are at the road. There is a 3-4 car cement pad which can be used as your driveway or removed. There is also a basement dugout that can be used or extended.It is Zoned for a single residential home which can be a Modular home or a Manufactured home as well. Two examples of a Modular home are in the photos, could be a 1 story or a 2 story home.Two parcels convey with this purchase, 034-30-01-002.00 ,Lot 158 which is 0.68 acres and parcel 034-30-01-003.00, Lots 153 and 154 which equal 0.23 acres. The three lots equal 0.9 acres.
Based on current rates
Est. 6.75% rate · 30yr fixed · $22,400 loan
Full calculator →Key facts and listing details
2 categories of property features
Market data and value estimates
3 schools rated nearby
Independence, KY, 41051
24 events
23 years of records
Local context around this listing
Independence, KY • Kenton County
Nearby cities
Nearby zip codes
The data relating to real estate for sale on this web site comes in part from the Internet Data Exchange Program of NKMLS. Real estate listings held by IDX Brokerage firms other than Zillow, Inc. are marked with the Internet Data Exchange logo or the Internet Data Exchange thumbnail logo and detailed information about them includes the name of the listing Brokers. Listing information is deemed reliable, but not guaranteed. Copyright 2026 Northern Kentucky Multiple Listing Service, Inc. All rights reserved.
No obligation · Same-day response