Loading...

Decatur, GA, 30034 • Panthersville • Dekalb County
-$150,000 since Apr 1, 2026
9.1 acLot
None
Panthersville
Demand and pricing signals for this listing
67 views
People checking out this listing
9 saves
Buyers have saved this home
25 days on market
Recently listed
Lot
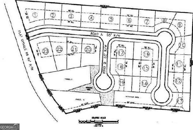
Exceptional residential land development opportunity in Decatur, DeKalb County, Georgia. This assemblage of five contiguous parcels along Flat Shoals Road totals approximately 9.1 gross acres and is positioned for subdivision development under the county's R75 zoning classification, with a viable path to R60 cottage-style rezoning for higher-density yield if desired. Sellers are offering a price discount for an earlier closing.
Based on current rates
Est. 5.93% rate · 30yr fixed · $760,000 loan
Full calculator →Key facts and listing details
4 categories of property features
Market data and value estimates
3 schools rated nearby
Decatur, GA, 30034
4 events
24 years of records
Local context around this listing
Decatur, GA • Dekalb County
Nearby neighborhoods
Nearby cities
Nearby zip codes
The data relating to real estate for sale on this web site comes in part from the Broker Reciprocity Program of GAMLS. All real estate listings are marked with the GAMLS Broker Reciprocity thumbnail logo and detailed information about them includes the name of the listing brokers. The broker providing these data believes them to be correct, but advises interested parties to confirm them before relying on them in a purchase decision. Copyright 2026 GAMLS. All rights reserved.
No obligation · Same-day response