Loading...

San Jose, CA, 95125 • Willow Glen • Santa Clara County
$1287/sqft
3Beds
3Baths
2,160Sqft
0.25 acLot
1961Built
Ranch Style
Built 1961 · 65 years of history
2-Car Garage
Attached · Off Street · Other
Demand and pricing signals for this listing
18 views
People checking out this listing
1082 days on market
Established listing
$1,287/sqft
Price per square foot
Single Family · Built 1961
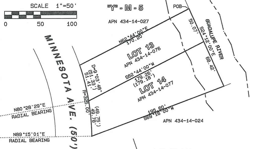
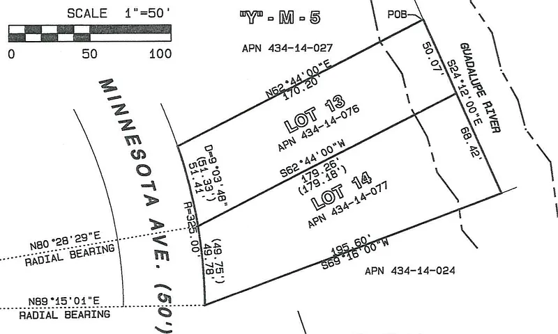
FANTASTIC DEVELOPMENT OPPORTUNITY! What we have for sale is a 2,160/sf, single story, 3 bed, 2.5 bath home on an approximately 19,184/sf lot. The lot has already been split into 2 lots, Certificate of Compliance available. Each lot is for sale at $1,499,000 or they can be purchased together for $2,998,000. Each lot will come with approved building plans for a 5 Bed, 5 Bath, 3,645/sf two story home. The tedious, expensive and time consuming pre-development leg-work has been completed so construction can begin at the close of escrow [reduced loan carry cost during pre-construction phase]. Lot 13, [LEFT LOT], APN #434-14-076 is 8,708/sf and Lot 14 [RIGHT LOT], APN #434-14-077 is 10,769/sf. The existing home is built across/on both lots and needs to be demolished in order to build the new home(s). Buyer is responsible for paying for the permit and school fees. Seller/builder would consider building home(s) out for an interested buyer(s). Building plans and engineering available for review.
Based on current rates
Est. 6.32% rate · 30yr fixed · $2,224,000 loan
Full calculator →Key facts and listing details
9 categories of property features
3 rooms detailed
Dining Room
Family Room
Kitchen
Market data and value estimates
3 schools rated nearby
San Jose, CA, 95125
11 events
25 years of records
Local context around this listing
San Jose, CA • Santa Clara County
Nearby neighborhoods
Nearby cities
Nearby zip codes
Based on information from the MLSListings MLS as of 2026-04-08 05:59:06 PDT. All data, including all measurements and calculations of area, is obtained from various sources and has not been, and will not be, verified by broker or MLS. All information should be independently reviewed and verified for accuracy. Properties may or may not be listed by the office/agent presenting the information.
No obligation · Same-day response