Loading...

North Olmsted, OH, 44070 • 44070 • Cuyahoga County
$206/sqft
Down payment assistance available
3Beds
3Baths
2,085Sqft
2023Built
Trees/Woods Views
Trees/Woods
Cape Cod Style
Built 2023 · 3 years of history
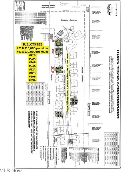
Willow Woods
44070
Outdoor Living
Rear Porch
2-Car Garage
Attached · Garage · Garage Door Opener · Paved
Demand and pricing signals for this listing
124 views
People checking out this listing
1 saves
Buyers have saved this home
938 days on market
Established listing
$206/sqft
Price per square foot
Condo · Built 2023
Dupliex Cape, To be built, 3 bedroom, 1 1/2 story style with open floor plan layout featuring vaulted ceiling in Family Room, large entertainment island in Kitchen, Mud Room, Laundry Room, attached 2 car Garage, 1st floor Primary Bedroom, 1st floor office/den/flex room. Second floor loft, 2 additional Bedrooms and Full Bath. Landscaping (by HOA) and patio included. Options still available to add to the build are: Family Room fireplace, Sunroom, Basement. Low maintenance fee of $130 per month. Just 5 homesites left "to be built" in Established Development! Projected build Fall/Winter 2025.
Standout features identified
Our analysis highlights second floor loft, family room fireplace, and mud room as key attractions of this home.
Based on current rates
Est. 6.24% rate · 30yr fixed · $343,920 loan
Full calculator →Key facts and listing details
10 categories of property features
11 rooms detailed
Primary Bedroom
FirstBedroom
SecondBedroom
SecondDining Room
FirstEat In Kitchen
FirstEntry Foyer
FirstMarket data and value estimates
3 schools rated nearby
North Olmsted, OH, 44070
3 events
Local context around this listing
North Olmsted, OH • Cuyahoga County
Nearby cities
Nearby zip codes
No obligation · Same-day response