Loading...

McMinnville, OR, 97128 • 97128 • Yamhill County
Waterfront Property
Stream
Scenic Views
Creek/Stream · Park/Greenbelt · Trees/Woods
Oak Ridge Meadows
Maintenance Grounds · Recreation Facilities
$15/mo HOA
Maintenance Grounds · Recreation Facilities
Demand and pricing signals for this listing
2 views
People checking out this listing
803 days on market
Established listing
Lot
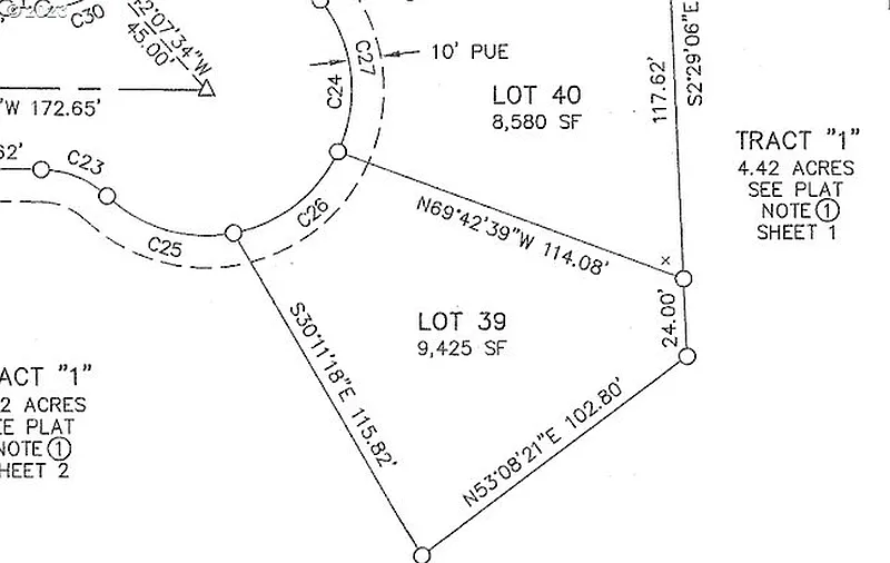
Lot 39 is 9425 sq ft, level, on a cul-de-sac in a Brand New 108 Lot McMinnville Subdivision. See picture of lot plat map for dimensions. Lots ranging from 4,500 sq ft to 14,000 sq ft. Bring your own Builder. McMinnville Water and Light Utilities, Oak Ridge Meadows Amenities include a Nature Path, Views of Baker Creek, Wetlands and a Neighborhood Park with play structure. Listing Agent is a Trustee of Seller.
Standout features identified
Our analysis highlights nature path, oak ridge meadows, and views of baker creek as key attractions of this home.
Based on current rates
Est. 6.25% rate · 30yr fixed · $207,920 loan
Full calculator →Key facts and listing details
3 categories of property features
Market data and value estimates
3 schools rated nearby
McMinnville, OR, 97128
3 events
Local context around this listing
McMinnville, OR • Yamhill County
Nearby cities
Nearby zip codes
The content relating to real estate for sale on this web site comes in part from the IDX program of the RMLS™ of Portland, Oregon. Real estate listings held by brokerage firms other than Zillow, Inc. are marked with the RMLS™ logo, and detailed information about these properties includes the names of the listing brokers. Listing content is copyright © 2026 RMLS™, Portland, Oregon. This content last updated on 2026-04-07 13:09:12 PDT. Some properties which appear for sale on this web site may subsequently have sold or may no longer be available. All information provided is deemed reliable but is not guaranteed and should be independently verified.
No obligation · Same-day response