Loading...

Klamath Falls, OR, 97601 • 97601 • Klamath County
2.1 acLot
Irvington Heights
97601
This home is in high demand
Listed 1107 days ago · 1 views · Top 10% likely to sell soon
Demand and pricing signals for this listing
1 views
People checking out this listing
1107 days on market
Established listing
This home ranks in the top 10% of listings most likely to go under contract soon, based on market activity and demand signals.
Want the full market analysis?
Get the detailed selling prediction score, comparable sales data, and price trend forecast for this property.
Free · Delivered to your inbox in minutes
Lot
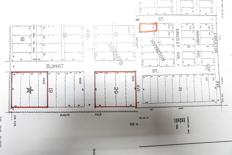
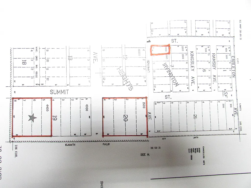
These are underdeveloped lots located in nice area above Pacific Terrace. Lots 1-4 Block 19 are contiguous and total .90 acres and lots 5-8 Block 20 on Summit Street are contiguous and a total 1.06 acres. Lot # 7 on Irving Ave is .13 acres. Buyer to do their due diligence, a survey is required to determine exact location of the lots. Permits and costs for the development of the infrastructure should be determined and considered prior to making an offer. Building costs should also be considered.
Key facts and listing details
1 category of property features
Market data and value estimates
3 schools rated nearby
Klamath Falls, OR, 97601
3 events
Local context around this listing
Klamath Falls, OR • Klamath County
Nearby neighborhoods
Nearby cities
Nearby zip codes
© 2026 Oregon Datashare (KCAR | MLSCO | SOMLS). All rights reserved. The data relating to real estate for sale on this web site comes in part from the Internet Data Exchange Program of the Oregon Datashare. Real estate listings held by IDX Brokerage firms other than Zillow Inc. are marked with the Internet Data Exchange logo or the Internet Data Exchange thumbnail logo and detailed information about them includes the name of the listing Brokers. Information provided is for consumers' personal, non-commercial use and may not be used for any purpose other than to identify prospective properties the viewer may be interested in purchasing. The consumer will not copy, retransmit nor redistribute any of the content from this website. Information provided is deemed reliable, but not guaranteed. This content has last been updated on 2026-04-09 08:35:26 PDT
No obligation · Same-day response