Loading...

Lancaster, CA, 93536 • 93536 • Los Angeles County
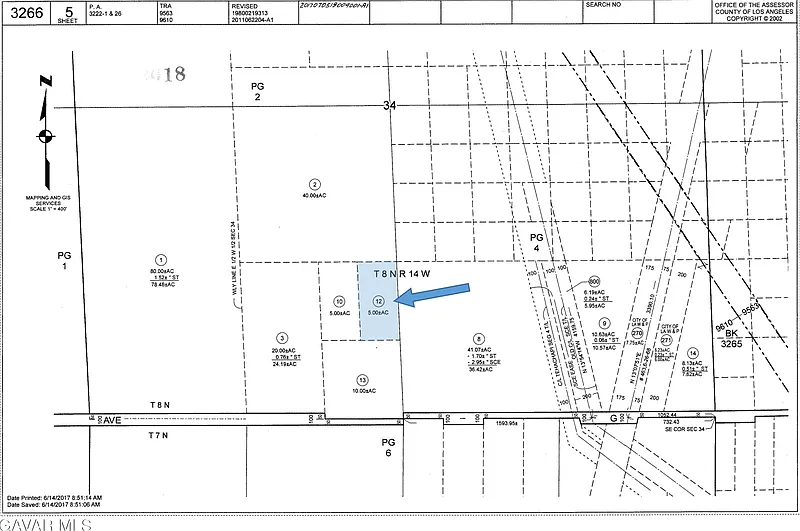
5 acLot
Demand and pricing signals for this listing
16 views
People checking out this listing
3 saves
Buyers have saved this home
214 days on market
Established listing
Lot
Five-acres in the wide-open-spaces of the Antelope Valley's west side between Antelope Acres and Fairmont. This beautiful off-grid parcel has great potential as a future ranch or home site, featuring recorded access easements north to the parcel from Avenue G and a completed Certificate of Compliance that will save on both development costs and time. Level and scenic with desirable A-2, Heavy Agriculture zoning and plenty of room to spread out with your animals and toys. A great buy! *Buyer to make their own independent investigations regarding Zoning and General Plan Designations, Environmental and Hazard Zones, Access and Development costs, Availability and Costs of Utilities.
Standout features identified
Our analysis highlights off-grid parcel, completed certificate of compliance, and recorded access easements as key attractions of this home.
Based on current rates
Est. 6.75% rate · 30yr fixed · $21,960 loan
Full calculator →Key facts and listing details
1 category of property features
Market data and value estimates
3 schools rated nearby
Lancaster, CA, 93536
5 events
Local context around this listing
Lancaster, CA • Los Angeles County
Nearby neighborhoods
Nearby cities
Nearby zip codes
IDX information is provided exclusively for personal, non-commercial use, and may not be used for any purpose other than to identify prospective properties consumers may be interested in purchasing. Information is deemed reliable but not guaranteed. The listing broker’s offer of compensation is made only to participants of the MLS where the listing is filed.
No obligation · Same-day response