Loading...

Jefferson Hills, PA, 15025 • 15025 • Allegheny County
0.62 acLot
2020Built
Demand and pricing signals for this listing
1 views
People checking out this listing
2043 days on market
Established listing
Lot · Built 2020
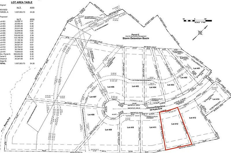
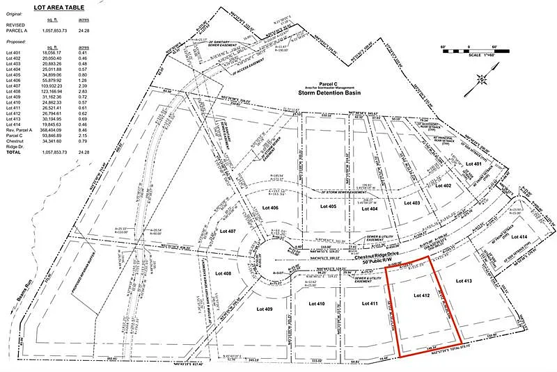
LOT 412 in Phase 4 of Chamberlin Ridge. High side lot on cul-de-sac street with large backyard. This lot is perfect for a house with a front or side entry attached garage, or a side entry integral garage. Lot is large enough to accept a ranch, 2 story, or 1.5 story with master bedroom on the first floor and guest/family bedrooms upstairs. Explore the endless possibilities for you to design YOUR dream home here.
Key facts and listing details
Market data and value estimates
3 schools rated nearby
Jefferson Hills, PA, 15025
5 events
Local context around this listing
Jefferson Hills, PA • Allegheny County
Nearby cities
Nearby zip codes
No obligation · Same-day response