Loading...

Sacramento, CA, 95823 • Parkway • Sacramento County
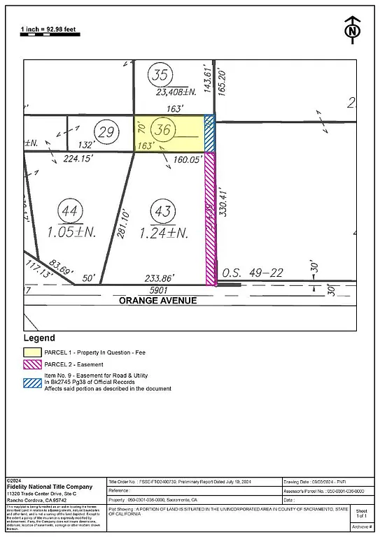
0.26 acLot
Demand and pricing signals for this listing
24 views
People checking out this listing
28 days on market
Recently listed
Lot
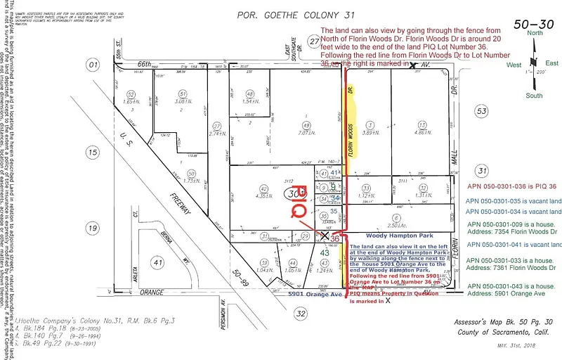
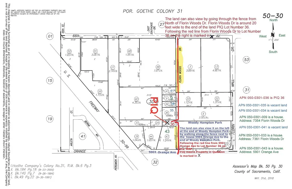
Potential vacant land for your future home.
Based on current rates
Est. 6.75% rate · 30yr fixed · $36,000 loan
Full calculator →Key facts and listing details
2 categories of property features
Market data and value estimates
3 schools rated nearby
Sacramento, CA, 95823
13 events
Local context around this listing
Sacramento, CA • Sacramento County
Nearby neighborhoods
Nearby cities
Nearby zip codes
Based on information from the MLSListings MLS as of 2026-04-07 10:14:20 PDT. All data, including all measurements and calculations of area, is obtained from various sources and has not been, and will not be, verified by broker or MLS. All information should be independently reviewed and verified for accuracy. Properties may or may not be listed by the office/agent presenting the information.
No obligation · Same-day response