Loading...

Vashon, WA, 98070 • 98070 • King County
9.6 acLot
In Town
98070
This home is getting attention
Listed 1053 days ago · 5 views
Demand and pricing signals for this listing
5 views
People checking out this listing
1053 days on market
Established listing
This home ranks in the top 46% of listings most likely to go under contract soon, based on market activity and demand signals.
Want the full market analysis?
Get the detailed selling prediction score, comparable sales data, and price trend forecast for this property.
Free · Delivered to your inbox in minutes
Lot
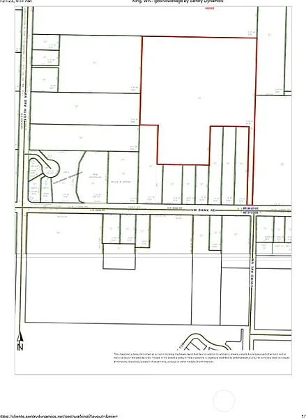
Secluded 9.58 acre lot on Bank Rd. just west of town including 9 District 19 water shares. 4.58 acres are in the Vashon Special Overlay District and allow for multiple residential units (R4SO zoning). The remaining 5 acres are zoned R-5, property has not been sub-divided. Sewer, gas and electricity are in Bank Rd. Possibilities abound from a secluded homesite to options to create Vashon housing.
Based on current rates
Est. 6.18% rate · 30yr fixed · $512,000 loan
Full calculator →Key facts and listing details
3 categories of property features
Market data and value estimates
3 schools rated nearby
Vashon, WA, 98070
6 events
Local context around this listing
Vashon, WA • King County
Nearby cities
Nearby zip codes
Based on information submitted to the MLS GRID as of 2026-04-07 08:38:34 PDT. All data is obtained from various sources and may not have been verified by broker or MLS GRID. Supplied Open House Information is subject to change without notice. All information should be independently reviewed and verified for accuracy. Properties may or may not be listed by the office/agent presenting the information. [Click here for more information](/mls-disclaimers/#39)
No obligation · Same-day response