Loading...

Stanwood, MI, 49346 • 49346 • Mecosta County
0.32 acLot
Waterfront Property
Channel, Lake, Pond, River, Stream/Creek
$73/mo HOA
Airport/Runway · Baseball Diamond · Beach Area · Campground
Demand and pricing signals for this listing
39 views
People checking out this listing
2 saves
Buyers have saved this home
239 days on market
Established listing
Lot
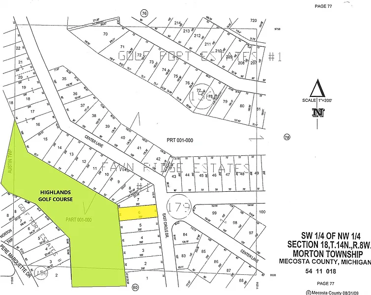
PERFECT location for your next home! Situated on the 8th tee of the Highlands Golf Course- you can see the signature hole with the Castle in the background from your next back yard! Wooded lot provides for natural beauty and seclusion - with rolling hills providing additional beauty and views suitable for a walkout basement. Ownership in Canadian Lakes provides for FREE GOLF at the Highlands - as well at the Pines Golf Course, two pools, private lakes and beaches, parks and much more. To learn more about Canadian Lakes visit www.canadianlakes.org. Don't miss this great opportunity to build your next home - schedule an appointment TODAY!
Standout features identified
Our analysis highlights wooded lot, rolling hills, and natural beauty as key attractions of this home.
Based on current rates
Est. 6.75% rate · 30yr fixed · $4,000 loan
Full calculator →Key facts and listing details
4 categories of property features
Market data and value estimates
3 schools rated nearby
Stanwood, MI, 49346
3 events
22 years of records
Local context around this listing
Stanwood, MI • Mecosta County
Nearby cities
Nearby zip codes
Information is deemed reliable but not guaranteed. Copyright 2026 MichRIC, LLC. All rights reserved.
No obligation · Same-day response