Loading...

Mariposa, CA, 95338 • 95338 • Mariposa County
0.03 acLot
Demand and pricing signals for this listing
2 views
People checking out this listing
Lot
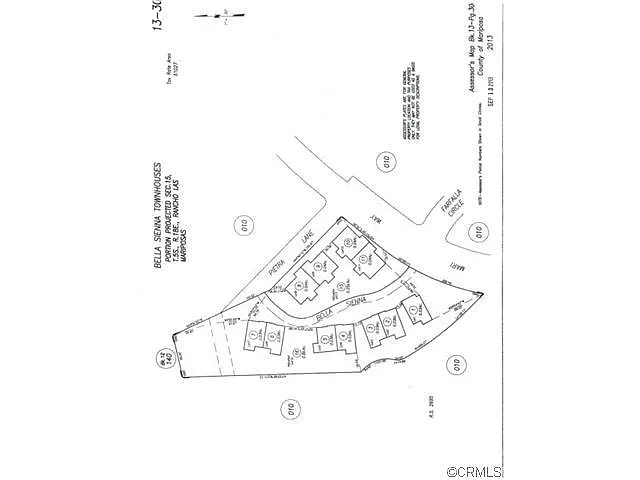
This is the start of the condo project that has been on hold for several years and is now being sold as vacant land. The parcel has now been divided into 8 different parcels. The APNs are: 13-300-001 thru 008 and parcel 13-300-016. County Building Department has indicated they will be willing to work with an engineer & contractor so t his project can be finished. Ask listing agents for details.
Based on current rates
Est. 6.75% rate · 30yr fixed · $28,794 loan
Full calculator →Key facts and listing details
Market data and value estimates
2 schools rated nearby
Mariposa, CA, 95338
16 years of records
Local context around this listing
Mariposa, CA • Mariposa County
Nearby neighborhoods
Nearby cities
Nearby zip codes
No obligation · Same-day response