Loading...

Midland, MI, 48642 • 48642 • Midland County
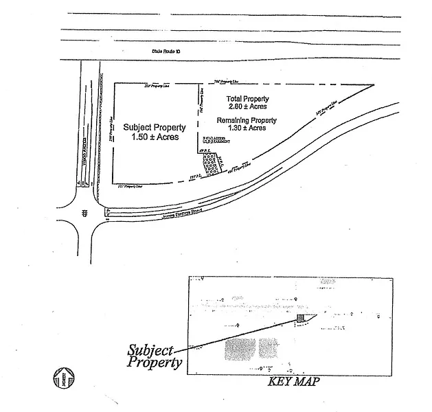
1.3 acLot
Demand and pricing signals for this listing
36 views
People checking out this listing
1 saves
Buyers have saved this home
1786 days on market
Established listing
Lot
Commercial Development investment site in Midland, next to Dollar General on James Savage. 1.30 acres adjacent to US-10 Business. All utilities at street.
Based on current rates
Est. 6.88% rate · 30yr fixed · $112,000 loan
Full calculator →Key facts and listing details
3 categories of property features
Market data and value estimates
3 schools rated nearby
Midland, MI, 48642
4 events
10 years of records
Local context around this listing
Midland, MI • Midland County
Nearby cities
Nearby zip codes
IDX information is provided exclusively for personal, non-commercial use, and may not be used for any purpose other than to identify prospective properties consumers may be interested in purchasing. Information is deemed reliable but not guaranteed.
No obligation · Same-day response