Loading...

Portland, OR, 97203 • Cathedral Park • Multnomah County
0.12 acLot
Waterfront Property
Direct water access
Scenic Views
Mountain(s) · River · Trees/Woods
Demand and pricing signals for this listing
3 views
People checking out this listing
547 days on market
Established listing
Lot
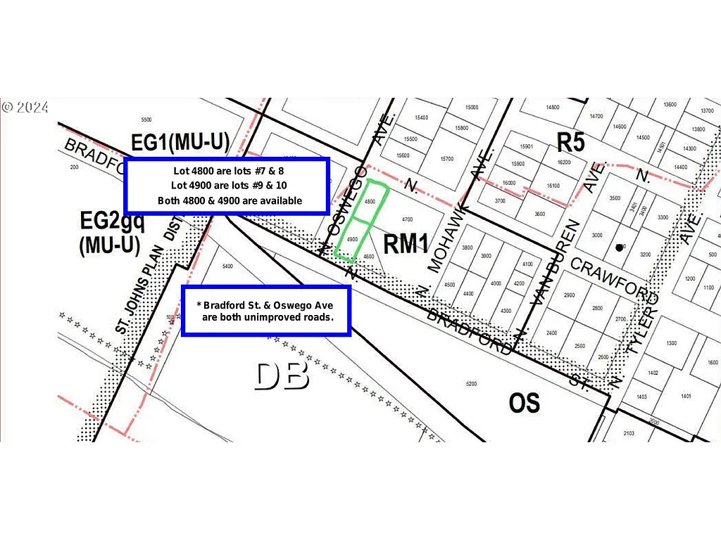
Location, Location, Location! Don't miss this opportunity - developer or investor with a gentle sloping land/lot with great views of the river. St Johns bridge directly from this parcel. Location in the heart of St Johns is adjacent to the greenway trails. Don't wait NO CC&R's and HOA. Buyer due diligence.
Based on current rates
Est. 6.75% rate · 30yr fixed · $56,000 loan
Full calculator →Key facts and listing details
3 categories of property features
Market data and value estimates
3 schools rated nearby
Portland, OR, 97203
3 events
Local context around this listing
Portland, OR • Multnomah County
Nearby neighborhoods
Nearby cities
Nearby zip codes
The content relating to real estate for sale on this web site comes in part from the IDX program of the RMLS™ of Portland, Oregon. Real estate listings held by brokerage firms other than Zillow, Inc. are marked with the RMLS™ logo, and detailed information about these properties includes the names of the listing brokers. Listing content is copyright © 2026 RMLS™, Portland, Oregon. This content last updated on 2026-04-01 16:34:11 PDT. Some properties which appear for sale on this web site may subsequently have sold or may no longer be available. All information provided is deemed reliable but is not guaranteed and should be independently verified.
No obligation · Same-day response