Loading...

Warren, OR, 97053 • 97053 • Columbia County
4.9 acLot
Waterfront Property
Stream
Territorial Views
Territorial
Demand and pricing signals for this listing
2 views
People checking out this listing
3591 days on market
Established listing
Lot
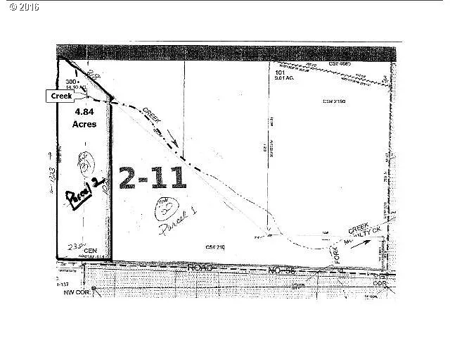
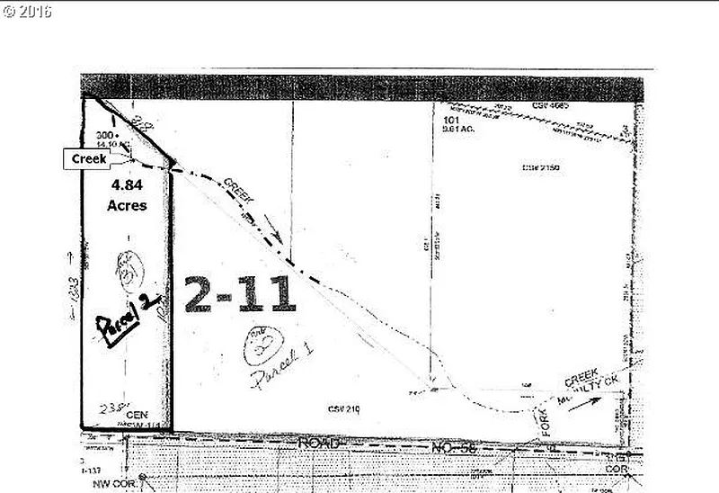
Prime 4.94 acre building site in WARREN. Water, Power, Gas available. McNulty water fees aprox.$5100 for new meter.Creek, trees on back. Easy commute. Aprox. 1 mile off Hwy 30 on Millard Rd. Just past 34353 Millard Rd. on the right. Fences maybe electric. standard septic approval. This is Parcel 2 on Plat Map. Property has been surveyed.
Key facts and listing details
3 categories of property features
Market data and value estimates
3 schools rated nearby
Warren, OR, 97053
1 event
Local context around this listing
Warren, OR • Columbia County
Nearby cities
Nearby zip codes
The content relating to real estate for sale on this web site comes in part from the IDX program of the RMLS™ of Portland, Oregon. Real estate listings held by brokerage firms other than Zillow, Inc. are marked with the RMLS™ logo, and detailed information about these properties includes the names of the listing brokers. Listing content is copyright © 2026 RMLS™, Portland, Oregon. This content last updated on 2026-04-01 15:14:05 PDT. Some properties which appear for sale on this web site may subsequently have sold or may no longer be available. All information provided is deemed reliable but is not guaranteed and should be independently verified.
No obligation · Same-day response