Loading...

Warren, OH, 44483 • 44483 • Trumbull County
0.64 acLot
Demand and pricing signals for this listing
29 views
People checking out this listing
1 saves
Buyers have saved this home
1257 days on market
Established listing
Lot
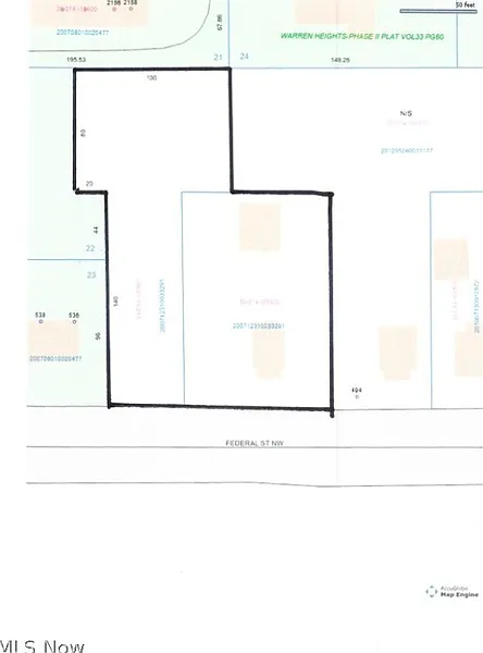
506 FEDERAL ST. Has 2 parcels (1&2are deeded together) for this address total .650 acres. Flat land with many Hickory trees, at one time there was a home on lots. Seller would like to sell 5 vacant residential lots one price. Parcel 1.) 39-356800 (address 506 Federal), 2.) 39-356850, 3.)39-368372 (494 Federal) located on Northerly side of Federal St. Parcel 4.) 39-072750 , 5.) 39-108950 located on Southerly side of Federal St. Parcel 1.) .3375 Acres, 2.) .3120 Acres, 3.) .6313 Acres=1.280 Acres on Northerly side of Federal St. Parcel 4.) 1.699 Acres, + 5.) 4.177 Acres=5.876 Acres on Southerly side of Federal St. wooded lots. Lots are across from each other, being located on both sides of Federal St. Parcel 1,2&3 have address those homes are gone
Standout features identified
Our analysis highlights flat land, wooded lots, and hickory trees as key attractions of this home.
Based on current rates
Est. 6.75% rate · 30yr fixed · $20,000 loan
Full calculator →Key facts and listing details
1 category of property features
Market data and value estimates
2 schools rated nearby
Warren, OH, 44483
2 events
22 years of records
Local context around this listing
Warren, OH • Trumbull County
Nearby neighborhoods
Nearby cities
Nearby zip codes
The data relating to real estate for sale on this website comes in part from the Internet Data Exchange program of MLS NOW. Real estate listings held by brokerage firms other than Zillow, Inc. are marked with the Internet Data Exchange logo and detailed information about them includes the name of the listing broker(s). Zillow, Inc. does not display the entire MLS NOW IDX database on this website. The listings of some real estate brokerage firms have been excluded. Information is deemed reliable but not guaranteed. Copyright 2026 - Multiple Listing Service, Inc. – All Rights Reserved.
No obligation · Same-day response