Loading...

Oakland, NJ, 07436 • 07436 • Bergen County
Waterfront Property
None
This home is getting attention
Listed 59 days ago · 808 views · 16 saves
Demand and pricing signals for this listing
808 views
People checking out this listing
16 saves
Buyers have saved this home
59 days on market
Established listing
This home ranks in the top 45% of listings most likely to go under contract soon, based on market activity and demand signals.
Want the full market analysis?
Get the detailed selling prediction score, comparable sales data, and price trend forecast for this property.
Free · Delivered to your inbox in minutes
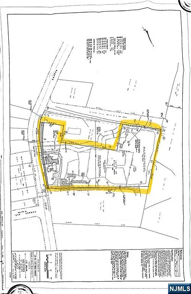
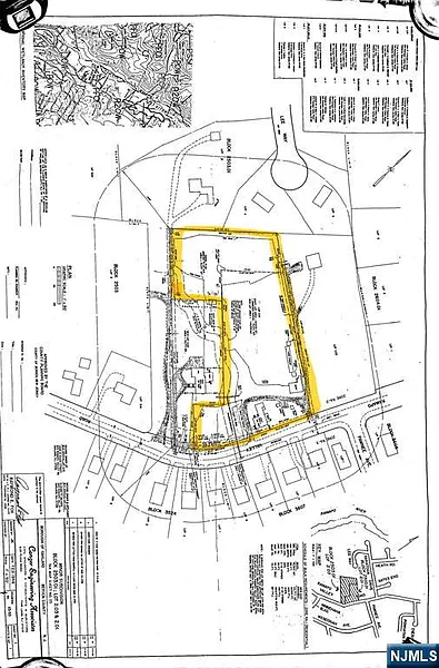
Lot
The property is currently improved with an existing single-family home being sold strictly as-is, along with a grandfathered equestrian facility in the rear featuring stables for up to 15 horses, a truly unique asset. Under current zoning, the parcel allows for three single-family homes (one per acre), with the potential for additional homes subject to variance approvals. The land's size, frontage, and setting create flexibility for builders, developers, or investors seeking a premium Oakland location with room to scale. The property and the equestrian business will be delivered vacant, unless a buyer elects to continue operations, providing multiple exit strategies. Ideal for those looking to develop, land bank, or create a custom residential enclave with a one-of-a-kind grandfathered use already in place.
Based on current rates
Est. 6.27% rate · 30yr fixed · $1,200,000 loan
Full calculator →Virtual Tour
Open in new tab ↗Loading virtual tour…
Key facts and listing details
1 category of property features
Market data and value estimates
3 schools rated nearby
Oakland, NJ, 07436
6 events
24 years of records
Local context around this listing
Oakland, NJ • Bergen County
Nearby cities
Nearby zip codes
The data relating to the real estate for sale on this web site comes in part from the Internet Data Exchange Program of the NJMLS. Real estate listings held by brokerage firms other than Zillow, Inc. are marked with the Internet Data Exchange logo and information about them includes the name of the listing brokers. Some properties listed with the participating brokers do not appear on this website at the request of the seller. Listings of brokers that do not participate in Internet Data Exchange do not appear on this website. All information deemed reliable but not guaranteed. Last date updated: 2026-02-06 15:19:29 PST Source: New Jersey Multiple Listing, Inc. © 2026 New Jersey Multiple Listing Service Inc. All rights reserved.
No obligation · Same-day response