Loading...

Burlingame, CA, 94010 • 94010 • San Mateo County
-$4,000,000 since Oct 22, 2024
7.8 acLot
This home is getting attention
Listed 631 days ago · 284 views · 13 saves
Demand and pricing signals for this listing
284 views
People checking out this listing
13 saves
Buyers have saved this home
631 days on market
Established listing
Lot
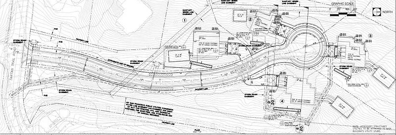
A rare opportunity to develop a pristine piece of residential land in one of California's most sought after luxury housing markets. The Meadowood Estates project has a tentative map approved for 8 single family homes. This listing represents one half of the overall project. The approved tentative map has two separate cul-de-sacs, one accessible off of Tartan Trail rd, and the other off of Crystal Springs rd. These two cul-de-sacs can be purchased together or separately. Each cul-de-sac can be developed for between 1 to 4 single family homes. Great opportunity for a developer looking for a multiple home project, or an owner user looking to create an idyllic private residence / compound. The drive for this cul-de-sac would come off of Tartan Trail Rd.
Based on current rates
Est. 6.35% rate · 30yr fixed · $3,800,000 loan
Full calculator →Key facts and listing details
3 categories of property features
Market data and value estimates
3 schools rated nearby
Burlingame, CA, 94010
2 events
Local context around this listing
Burlingame, CA • San Mateo County
Nearby cities
Nearby zip codes
Based on information from the MLSListings MLS as of 2026-04-07 14:55:18 PDT. All data, including all measurements and calculations of area, is obtained from various sources and has not been, and will not be, verified by broker or MLS. All information should be independently reviewed and verified for accuracy. Properties may or may not be listed by the office/agent presenting the information.
No obligation · Same-day response