Loading...

Lancaster, CA, 93536 • 93536 • Los Angeles County
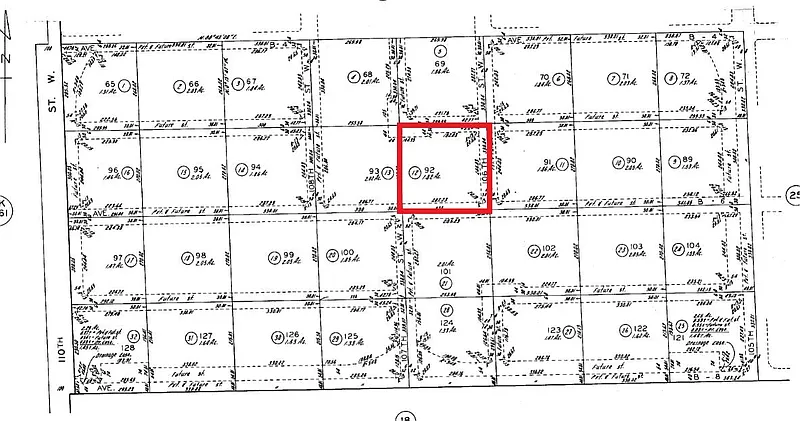
1.9 acLot
Demand and pricing signals for this listing
2982 days on market
Established listing
Lot
1.88 acres on107th Street West and Avenue B-6 in the Antelope Acres area. This level parcel is located about a -1/4 mile east of paved 110th Street West, power and phone. It's near homes and the new solar developments!
Key facts and listing details
1 category of property features
Market data and value estimates
3 schools rated nearby
Lancaster, CA, 93536
1 event
Local context around this listing
Lancaster, CA • Los Angeles County
Nearby neighborhoods
Nearby cities
Nearby zip codes
IDX information is provided exclusively for personal, non-commercial use, and may not be used for any purpose other than to identify prospective properties consumers may be interested in purchasing. Information is deemed reliable but not guaranteed. The listing broker’s offer of compensation is made only to participants of the MLS where the listing is filed.
No obligation · Same-day response