Loading...

Edwardsville, IL, 62025 • 62025 • Madison County
3 acLot
Cedar Ridge
62025
Demand and pricing signals for this listing
15 views
People checking out this listing
410 days on market
Established listing
Lot
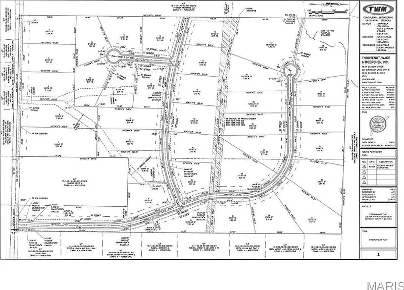
Cedar Ridge Subdivision is a premier opportunity for rural living close to town. It encompasses 96 acres and features 36 generously sized lots ranging from 2 to 4.5 acres. Strategically located in incorporated Madison County off Old Carpenter Road, Cedar Ridge is just 1.5 miles from city limits, offering the perfect blend of convenient access to town and the privacy of expansive lots in a rural setting. Cedar Ridge will offer top-notch amenities, including asphalt streets, curbs and drainage gutters, streetlights, and sidewalks, ensuring a high-quality living experience for all residents. The project engineer has dubbed it a "Cadillac Rural Subdivision" of Edwardsville. Don't miss your chance to turn your home-building dreams into reality, contact your favorite agent today! For more information about this development, visit cedarridge.net Additional Rooms: In Platted Subdv.
Standout features identified
Our analysis highlights generously sized lots and rural living as key attractions of this home.
Based on current rates
Est. 6.88% rate · 30yr fixed · $140,000 loan
Full calculator →Key facts and listing details
3 categories of property features
Market data and value estimates
3 schools rated nearby
Edwardsville, IL, 62025
3 events
Local context around this listing
Edwardsville, IL • Madison County
Nearby cities
Nearby zip codes
IDX information is provided exclusively for personal, non-commercial use, and may not be used for any purpose other than to identify prospective properties consumers may be interested in purchasing. Information is deemed reliable but not guaranteed. Some IDX listings have been excluded from this website. [Click here for more information](/mls-disclaimers/#197)
No obligation · Same-day response