Loading...

Aberdeen, WA, 98520 • 98520 • Grays Harbor County
1.7 acLot
Waterfront Property
Direct water access
River Views
River
Central Park
98520
Demand and pricing signals for this listing
3804 days on market
Established listing
Lot
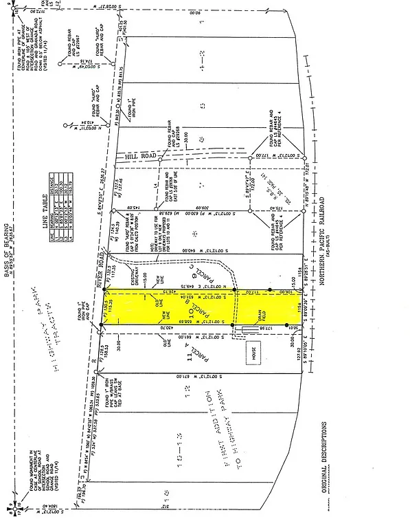
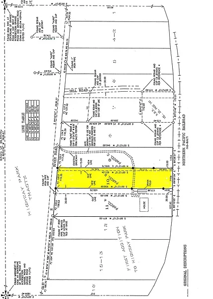
Bring your building plans for that dream house with spectacular river views and wildlife galore. Located in desirable neighborhood of newer homes. Quiet area on dead end road. Hook-up to electricity and water plus septic will need to be added. Buyer to verify with county as to the type of septic required. CCR’s have been filed to protect your investment. Lot is 1.73 acres (m/l) 115’ x 650’ approx. sq ft and was surveyed Sept 2015.
Key facts and listing details
5 categories of property features
Market data and value estimates
3 schools rated nearby
Aberdeen, WA, 98520
1 event
Local context around this listing
Aberdeen, WA • Grays Harbor County
Nearby cities
Nearby zip codes
Based on information submitted to the MLS GRID as of 2026-04-07 10:18:52 PDT. All data is obtained from various sources and may not have been verified by broker or MLS GRID. Supplied Open House Information is subject to change without notice. All information should be independently reviewed and verified for accuracy. Properties may or may not be listed by the office/agent presenting the information. [Click here for more information](/mls-disclaimers/#39)
No obligation · Same-day response