Loading...

East Moline, IL, 61244 • 61244 • Rock Island County
1.3 acLot
Demand and pricing signals for this listing
9 views
People checking out this listing
100 days on market
Established listing
Lot
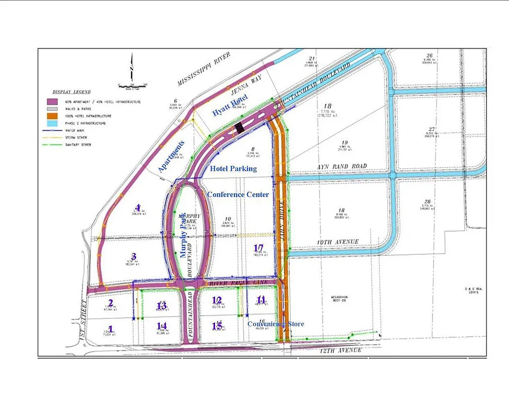
Development land, Lot 11, 1.31+/- Acres at $6.00 psf. This site sits on the bend in the Mississippi River along 12th Avenue. The Bend area will include three apartment complexes and two Hyatt Hotels plus restaurants, retail and green space. Excellent opportunity to join the momentum. Over $10M being spent on infrastructure. Contact Listing Broker for details. Broker is a principal in the ownership of property and is licensed in Iowa and Illinois.
Based on current rates
Est. 6.20% rate · 30yr fixed · $273,906 loan
Full calculator →Key facts and listing details
1 category of property features
Market data and value estimates
3 schools rated nearby
East Moline, IL, 61244
3 events
Local context around this listing
East Moline, IL • Rock Island County
Nearby cities
Nearby zip codes
Based on information submitted to the MLS GRID as of 2026. All data is obtained from various sources and may not have been verified by broker or MLS GRID. Supplied Open House Information is subject to change without notice. All information should be independently reviewed and verified for accuracy. Properties may or may not be listed by the office/agent presenting the information. [Click here for more information](/mls-disclaimers/#17)
No obligation · Same-day response