Loading...

Surrey, BC, V3S1V6 • Cloverdale • Metro Vancouver Regional District
1 acLot
Demand and pricing signals for this listing
2 views
People checking out this listing
106 days on market
Established listing
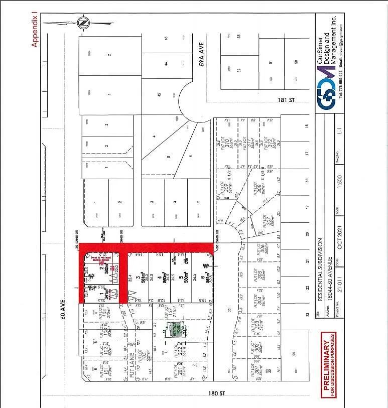
Lot
Six lot subdivision in the heart of Cloverdale PLA done ready for services agreement. 5 RF lots approximate 6500 sqft and 1 RF 13 approximate 3800 sqft .Build your dream home. Call for serious enquiry.
Based on current rates
Est. 6.75% rate · 30yr fixed · $2,799,200 loan
Full calculator →Key facts and listing details
Market data and value estimates
1 school rated nearby
Surrey, BC, V3S1V6
Local context around this listing
Surrey, BC • Metro Vancouver Regional District
Nearby neighborhoods
Nearby cities
Nearby zip codes
NOTE: This representation is based in whole or in part on data generated by the Chilliwack & District Real Estate Board, Fraser Valley Real Estate Board or Greater Vancouver REALTORS® which assumes no responsibility for its accuracy.
No obligation · Same-day response