Loading...

Medford, OR, 97501 • 97501 • Jackson County
5.5 acLot
Scenic Views
Mountain(s) · City · Panoramic · Valley · Vineyard
Demand and pricing signals for this listing
28 views
People checking out this listing
3 saves
Buyers have saved this home
389 days on market
Established listing
Lot
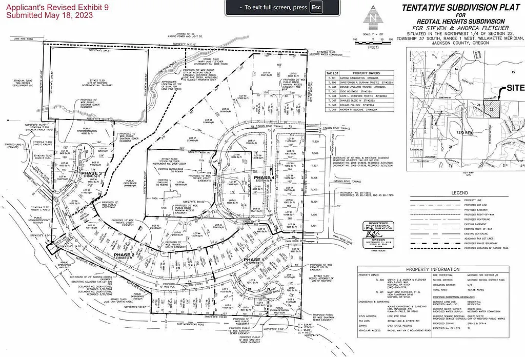
Explore an exceptional investment opportunity in desirable East Medford. PHASE 2 at Red Tail Heights is an approximately 5.5 acre parcel of vacant land ready for development. Zoned SFR-4/SFR-2 for 15 +/- residences, this unique property promises significant potential for developers and investors alike, made easy with planning and permitting (annexation, zone change, temporary subdivision plat) already approved. City streets and public services are accessed at three locations. Initial civil engineering work for streets, sidewalks, sewer, and storm drains are completed, along with geotechnical engineering and a a traffic study. Breathtaking views. Convenient to amenities in Medford, Ashland, and Historic Jacksonville, this is a prime opportunity to cultivate a vibrant community in a picturesque locale!
Standout features identified
Our analysis highlights breathtaking views and picturesque locale as key attractions of this home.
Based on current rates
Est. 6.25% rate · 30yr fixed · $583,600 loan
Full calculator →Key facts and listing details
3 categories of property features
Market data and value estimates
3 schools rated nearby
Medford, OR, 97501
1 event
Local context around this listing
Medford, OR • Jackson County
Nearby cities
Nearby zip codes
© 2026 Oregon Datashare (KCAR | MLSCO | SOMLS). All rights reserved. The data relating to real estate for sale on this web site comes in part from the Internet Data Exchange Program of the Oregon Datashare. Real estate listings held by IDX Brokerage firms other than Zillow Inc. are marked with the Internet Data Exchange logo or the Internet Data Exchange thumbnail logo and detailed information about them includes the name of the listing Brokers. Information provided is for consumers' personal, non-commercial use and may not be used for any purpose other than to identify prospective properties the viewer may be interested in purchasing. The consumer will not copy, retransmit nor redistribute any of the content from this website. Information provided is deemed reliable, but not guaranteed. This content has last been updated on 2026-03-16 05:13:18 PDT
No obligation · Same-day response