Loading...

Cuyahoga Falls, OH, 44223 • 44223 • Summit County
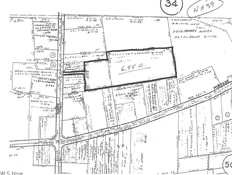
6.9 acLot
Trees/Woods Views
Trees/Woods
Demand and pricing signals for this listing
2260 days on market
Established listing
Lot
Wooded 6.94 Acres, Zoned R-3, Sub-Urban Density Residential. This is a low-density residential district characterized by large lots. Akron City Water, Dominion Gas, and Electric at the street. Sewer will be septic. No tests have been done by the owner. Access drive off of Northampton between 1901 and 1911 Northampton. Just North of Portage Trail on the East side of Northampton.
Key facts and listing details
4 categories of property features
Market data and value estimates
3 schools rated nearby
Cuyahoga Falls, OH, 44223
1 event
Local context around this listing
Cuyahoga Falls, OH • Summit County
Nearby cities
Nearby zip codes
The data relating to real estate for sale on this website comes in part from the Internet Data Exchange program of MLS NOW. Real estate listings held by brokerage firms other than Zillow, Inc. are marked with the Internet Data Exchange logo and detailed information about them includes the name of the listing broker(s). Zillow, Inc. does not display the entire MLS NOW IDX database on this website. The listings of some real estate brokerage firms have been excluded. Information is deemed reliable but not guaranteed. Copyright 2026 - Multiple Listing Service, Inc. – All Rights Reserved.
No obligation · Same-day response