Loading...

Florence, OR, 97439 • 97439 • Lane County
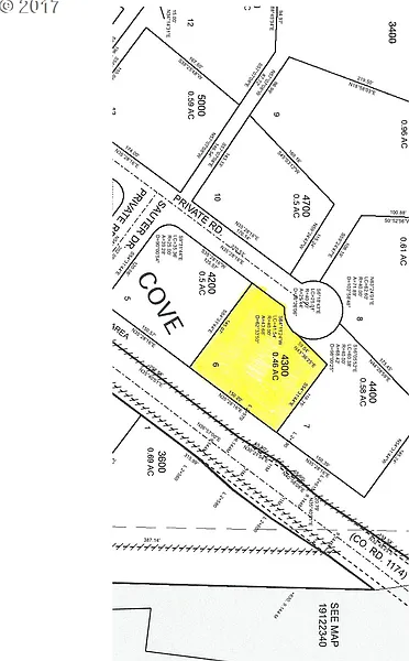
0.46 acLot
On the Woahink Lake
Lake
Trees/Woods Views
Trees/Woods
Sunset Cove
Commons · Gated
Dock
Dock
$50/mo HOA
Commons · Gated
Demand and pricing signals for this listing
1 views
People checking out this listing
3178 days on market
Established listing
Lot
LOT #6 - Build your home in the picturesque Sunset Cove lakeside community. Just under a half of an acre on this lot. Shared lake water system and underground utilities available. Advantex style septic system required. 5+ acres of common area with private dock on Woahink Lake. Gated entrance! Just minutes from town.
Key facts and listing details
4 categories of property features
Market data and value estimates
3 schools rated nearby
Florence, OR, 97439
1 event
Local context around this listing
Florence, OR • Lane County
Nearby cities
Nearby zip codes
The content relating to real estate for sale on this web site comes in part from the IDX program of the RMLS™ of Portland, Oregon. Real estate listings held by brokerage firms other than Zillow, Inc. are marked with the RMLS™ logo, and detailed information about these properties includes the names of the listing brokers. Listing content is copyright © 2026 RMLS™, Portland, Oregon. This content last updated on 2026-03-27 08:04:15 PDT. Some properties which appear for sale on this web site may subsequently have sold or may no longer be available. All information provided is deemed reliable but is not guaranteed and should be independently verified.
No obligation · Same-day response