Loading...

Fall Creek, OR, 97438 • 97438 • Lane County
-$50,000 since Mar 12, 2026
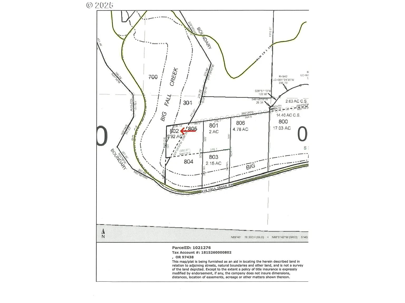
5.9 acLot
On the Fall Creek
Creek, Lake, Stream
Scenic Views
Creek/Stream · Territorial · Trees/Woods
This home is getting attention
Listed 353 days ago · 179 views · 18 saves
Demand and pricing signals for this listing
179 views
People checking out this listing
18 saves
Buyers have saved this home
353 days on market
Established listing
This home ranks in the top 45% of listings most likely to go under contract soon, based on market activity and demand signals.
Want the full market analysis?
Get the detailed selling prediction score, comparable sales data, and price trend forecast for this property.
Free · Delivered to your inbox in minutes
Lot
This beautiful 5.92 acre property is bordered on two sides by Fall Creek. In the Summer when the lake is full , the lake extends up the creek channel on the property the remainder of the year it is a flowing creek.. The land consists of 3 tax lots and one is a legal and buildable lot. The property was used as a recreation property, but is ready for a private residence. Well and septic are in. All information in regards to legal lot status, plat maps, etc. are available.
Based on current rates
Est. 6.75% rate · 30yr fixed · $180,000 loan
Full calculator →Key facts and listing details
3 categories of property features
Market data and value estimates
2 schools rated nearby
Fall Creek, OR, 97438
3 events
Local context around this listing
Fall Creek, OR • Lane County
Nearby cities
Nearby zip codes
The content relating to real estate for sale on this web site comes in part from the IDX program of the RMLS™ of Portland, Oregon. Real estate listings held by brokerage firms other than Zillow, Inc. are marked with the RMLS™ logo, and detailed information about these properties includes the names of the listing brokers. Listing content is copyright © 2026 RMLS™, Portland, Oregon. This content last updated on 2026-03-16 05:04:14 PDT. Some properties which appear for sale on this web site may subsequently have sold or may no longer be available. All information provided is deemed reliable but is not guaranteed and should be independently verified.
No obligation · Same-day response