Loading...

Oroville, CA, 95966 • 95966 • Butte County
12.8 acLot
Demand and pricing signals for this listing
2 views
People checking out this listing
1 saves
Buyers have saved this home
104 days on market
Established listing
Lot
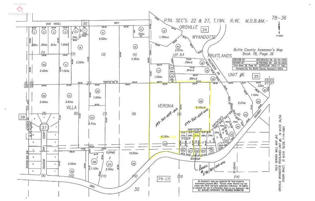
Incredible Development Opportunity - 33 Parcels in South Oroville!Presenting a rare chance to acquire 3 contiguous properties totaling 12.8 acres in a prime South Oroville location. Included in this sale are APN 078-360-034-000, APN 078-360-028-000, and APN 078-360-025-000, offering tremendous potential for a builder, investor, or visionary developer. This expansive property falls within the MDR (Medium Density Residential) zoning designation, whichper the Butte County Department of Developmentpermits single-family residences and attached ADUs. Preliminary conversations suggest the acreage may be able to support up to 90 residential parcels (6000 sq. ft. lots), making this one of the most attractive residential infill opportunities in the area. The level, usable terrain makes development efficient, with convenient access to city utilities nearby. Ideally located just off Foothill Blvd, the site offers an accessible setting close to local amenities, schools, and services. Residents will appreciate the array of recreational activities that make Oroville so desirablefishing, boating, hiking, with Lake Oroville and natural landscapes minutes away. Whether you're looking for a large-scale subdivision site or wish to purchase individual parcels, this property is exceptional.
Based on current rates
Est. 6.17% rate · 30yr fixed · $280,000 loan
Full calculator →Virtual Tour
Open in new tab ↗Loading virtual tour…
Key facts and listing details
2 categories of property features
Market data and value estimates
3 schools rated nearby
Oroville, CA, 95966
1 event
Local context around this listing
Oroville, CA • Butte County
Nearby cities
Nearby zip codes
No obligation · Same-day response