Loading...

Palmdale, CA, 93550 • 93550 • Los Angeles County
10 acLot
Demand and pricing signals for this listing
22 views
People checking out this listing
1 saves
Buyers have saved this home
237 days on market
Established listing
Lot
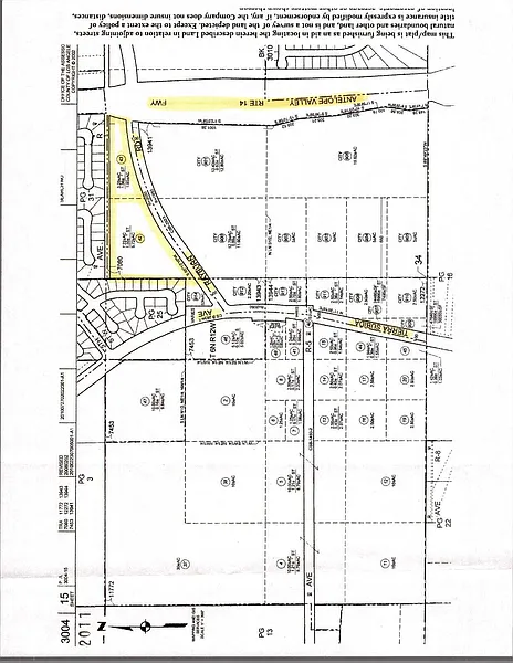
THIS IS A RARE OPPORTUNITY. Over 10 Acres Zoned COMMERCIAL in the city of Palmdale AND RIGHT ON THE FREEWAY! Two Separate Contiguous Parcels being sold together. Zoned RC, Regional Commercial and Suitable for Retail, Office, Hotel, Mini-Storage, Gas Station, Car Wash and more. Buyer to confirm with the City of Palmdale to confirm what uses will be allowed. Not only Adjacent to AV Freeway but also to Residential Development to the north and west. There are Block walls on two sides. All Utilities available. Close to Major Shopping Outlets and Community Shopping Centers, the Palmdale Business Park and the Palmdale Regional Hospital. Lots of development options. Don't miss this rare opportunity. APNs 3004-015-042 and 043.
Based on current rates
Est. 6.03% rate · 30yr fixed · $540,000 loan
Full calculator →Key facts and listing details
Market data and value estimates
3 schools rated nearby
Palmdale, CA, 93550
7 events
Local context around this listing
Palmdale, CA • Los Angeles County
Nearby neighborhoods
Nearby cities
Nearby zip codes
IDX information is provided exclusively for personal, non-commercial use, and may not be used for any purpose other than to identify prospective properties consumers may be interested in purchasing. Information is deemed reliable but not guaranteed. The listing broker’s offer of compensation is made only to participants of the MLS where the listing is filed.
No obligation · Same-day response