Loading...

East Worcester, NY, 12064 • 12064 • Schoharie County
6 acLot
Scenic Views
Scenic
Demand and pricing signals for this listing
33 views
People checking out this listing
6 saves
Buyers have saved this home
331 days on market
Established listing
Lot
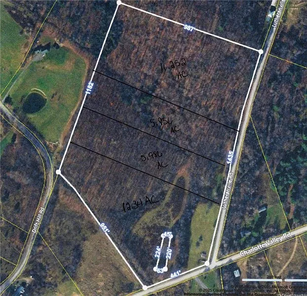
Welcome to L9.112 Lutheranville Rd, Summit, NY, 12175 on 5.986 acres in Schoharie County. This property offers an irresistible opportunity for those seeking a picturesque retreat nestled between Oneonta and Cobleskill. With several open building areas to choose from, privacy, and woods with old logging trails for hiking and recreation, this land provides a canvas for creating your dream escape. The surroundings of Schoharie County are replete with attractions that cater to diverse interests. Outdoor enthusiasts will appreciate the proximity to the Catskill Scenic Trail for leisurely walks or bike rides. For history buffs, a visit to the Old Stone Fort Museum in Schoharie promises an enriching experience. Those in search of cultural enrichment can explore the vibrant arts scene in Oneonta or take a trip to the Farmers' Museum in Cooperstown. Notably, this property is conveniently located a mere 40-minute drive from Albany, offering easy access to city amenities and services. Additionally, the picturesque drive to Cooperstown takes just over 30 minutes, providing the perfect opportunity for a day trip filled with baseball history and art. Embrace the tranquility and possibilities that come with owning this piece of Schoharie County. Discover the rural charm, recreational potential, and peaceful surroundings at L9.112 Lutheranville Rd. Summit, NY, 12175-an idyllic setting that strikes the perfect balance between nature and accessibility. The George Washington Bridge in New York is approximately a 2.5-hour drive from this enchanting property.
Standout features identified
Our analysis highlights peaceful surroundings, idyllic setting, and enchanting property as key attractions of this home.
Based on current rates
Est. 6.75% rate · 30yr fixed · $35,920 loan
Full calculator →Key facts and listing details
5 categories of property features
Market data and value estimates
3 schools rated nearby
East Worcester, NY, 12064
1 event
Local context around this listing
East Worcester, NY • Schoharie County
Nearby cities
Nearby zip codes
The data relating to real estate on this web site comes in part from the Internet Data Exchange (IDX) Program of the CNYIS, UNYREIS and WNYREIS. Real estate listings held by firms other than Zillow, Inc. are marked with the IDX logo and include the Listing Broker’s Firm Name. Listing Data last updated at 2026-03-27 07:25:22 PDT. Disclaimer: All information deemed reliable but not guaranteed and should be independently verified. All properties are subject to prior sale, change or withdrawal. Neither the listing broker(s) nor Zillow, Inc. shall be responsible for any typographical errors, misinformation, misprints, and shall be held totally harmless. © 2026 CNYIS, UNYREIS, WNYREIS. All rights reserved.
No obligation · Same-day response