Loading...

Big Rapids, MI, 49307 • 49307 • Mecosta County
32.5 acLot
Demand and pricing signals for this listing
4606 days on market
Established listing
Lot
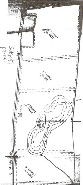
Approx. 32.5 acres of land located on a paved road just outside of Big Rapids. Lot size is very irregular and actual dimensions won't be known for sure until survey is completed. This is to be split from a larger parcel, so the tax id and rates will be less than what is stated. Parcel D on drawing attached.
Key facts and listing details
1 category of property features
Market data and value estimates
3 schools rated nearby
Big Rapids, MI, 49307
1 event
Local context around this listing
Big Rapids, MI • Mecosta County
Nearby cities
Nearby zip codes
Information is deemed reliable but not guaranteed. Copyright 2026 MichRIC, LLC. All rights reserved.
No obligation · Same-day response