Loading...

Uniondale, IN, 46791 • 46791 • Wells County
+$70,000 since Aug 19, 2025
3.7 acLot
None
46791
Demand and pricing signals for this listing
98 views
People checking out this listing
5 saves
Buyers have saved this home
238 days on market
Established listing
Lot
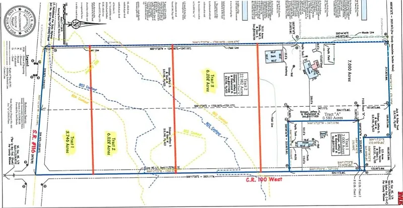
Looking for a place to build your dream home in the country? Discover the possibilities with this hard-to-find 3.7 +/- acre parcel located in Norwell School district just south of Uniondale. This property is a part of a split of the original 23 acre parcel. Taxes and legal description will change upon property division.
Based on current rates
Est. 6.75% rate · 30yr fixed · $88,000 loan
Full calculator →Virtual Tour
Open in new tab ↗Loading virtual tour…
Key facts and listing details
3 categories of property features
Market data and value estimates
3 schools rated nearby
Uniondale, IN, 46791
2 events
Local context around this listing
Uniondale, IN • Wells County
Nearby cities
Nearby zip codes
IDX information is provided exclusively for personal, non-commercial use, and may not be used for any purpose other than to identify prospective properties consumers may be interested in purchasing. Information is deemed reliable but not guaranteed.
No obligation · Same-day response