Loading...

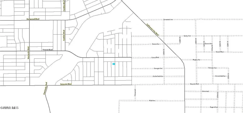
California City, CA, 93505 • 93505 • Kern County
0.23 acLot
This home is getting attention
Listed 178 days ago · 1 views
Demand and pricing signals for this listing
1 views
People checking out this listing
178 days on market
Established listing
This home ranks in the top 48% of listings most likely to go under contract soon, based on market activity and demand signals.
Want the full market analysis?
Get the detailed selling prediction score, comparable sales data, and price trend forecast for this property.
Free · Delivered to your inbox in minutes
Lot
Nice 9,987 sqft lot for sale on 108th St. This lot is close to existing homes. 360 views. Seller has over 15 other lots available. Buy more than one and save. Perfect for residential development opportunity or land investments. Contact listing agent with any questions.
Based on current rates
Est. 6.75% rate · 30yr fixed · $4,080 loan
Full calculator →Key facts and listing details
1 category of property features
Market data and value estimates
3 schools rated nearby
California City, CA, 93505
1 event
Local context around this listing
California City, CA • Kern County
Nearby cities
Nearby zip codes
IDX information is provided exclusively for personal, non-commercial use, and may not be used for any purpose other than to identify prospective properties consumers may be interested in purchasing. Information is deemed reliable but not guaranteed. The listing broker’s offer of compensation is made only to participants of the MLS where the listing is filed.
No obligation · Same-day response