Loading...

Bainbridge Island, WA, 98110 • Battle Point • Kitsap County
0.57 acLot
Waterfront Property
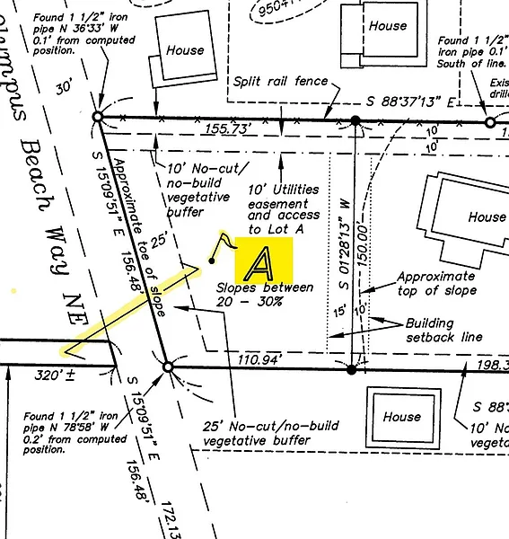
Medium Bank, Bulkhead, Saltwater, Strait
Scenic Views
Sea · See Remarks · Strait
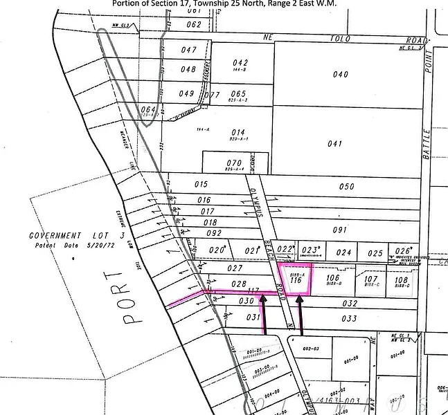
Battle Point
Battle Point
This home is getting attention
Listed 14 days ago · 26 views · 1 saves
Demand and pricing signals for this listing
26 views
People checking out this listing
1 saves
Buyers have saved this home
14 days on market
Recently listed
This home ranks in the top 39% of listings most likely to go under contract soon, based on market activity and demand signals.
Want the full market analysis?
Get the detailed selling prediction score, comparable sales data, and price trend forecast for this property.
Free · Delivered to your inbox in minutes
Lot
An exciting opportunity to purchase property located within the warm, west side of Bainbridge Island to include its own flag lot with a trail to med-bank bulkheaded waterfront. Not advisable to access trail lot till more accessible, but here is a public staircase access located to the south. Enjoy lovely sunsets behind the magnificent Olympics and a partially cleared sunny building lot to include: power along the road, a water availability letter from adjacent Group B Water System, a pre-installed, 3 bedroom (currently expired) drain field, and recently re-flagged property corners from AGO Land Surveying, to name but a few amenities. Be certain to include both TA’s (116 & 117 - referenced in listing). Just minutes to beautiful Battle Point Park, and Island Center with a Jiffy Mart, gas station and the famous Sawadty Thai restaurant.
Standout features identified
Our analysis highlights own flag lot, med-bank bulkheaded waterfront, and partially cleared sunny lot as key attractions of this home.
Based on current rates
Est. 6.18% rate · 30yr fixed · $272,000 loan
Full calculator →Key facts and listing details
4 categories of property features
Market data and value estimates
3 schools rated nearby
Bainbridge Island, WA, 98110
4 events
Local context around this listing
Bainbridge Island, WA • Kitsap County
Nearby neighborhoods
Nearby cities
Nearby zip codes
Based on information submitted to the MLS GRID as of 2026-04-07 22:14:51 PDT. All data is obtained from various sources and may not have been verified by broker or MLS GRID. Supplied Open House Information is subject to change without notice. All information should be independently reviewed and verified for accuracy. Properties may or may not be listed by the office/agent presenting the information. [Click here for more information](/mls-disclaimers/#39)
No obligation · Same-day response