Loading...

Westwood, CA, 96137 • 96137 • Lassen County
0.92 acLot
Scenic Views
Scenic
Demand and pricing signals for this listing
51 views
People checking out this listing
1 saves
Buyers have saved this home
24 days on market
Recently listed
Lot
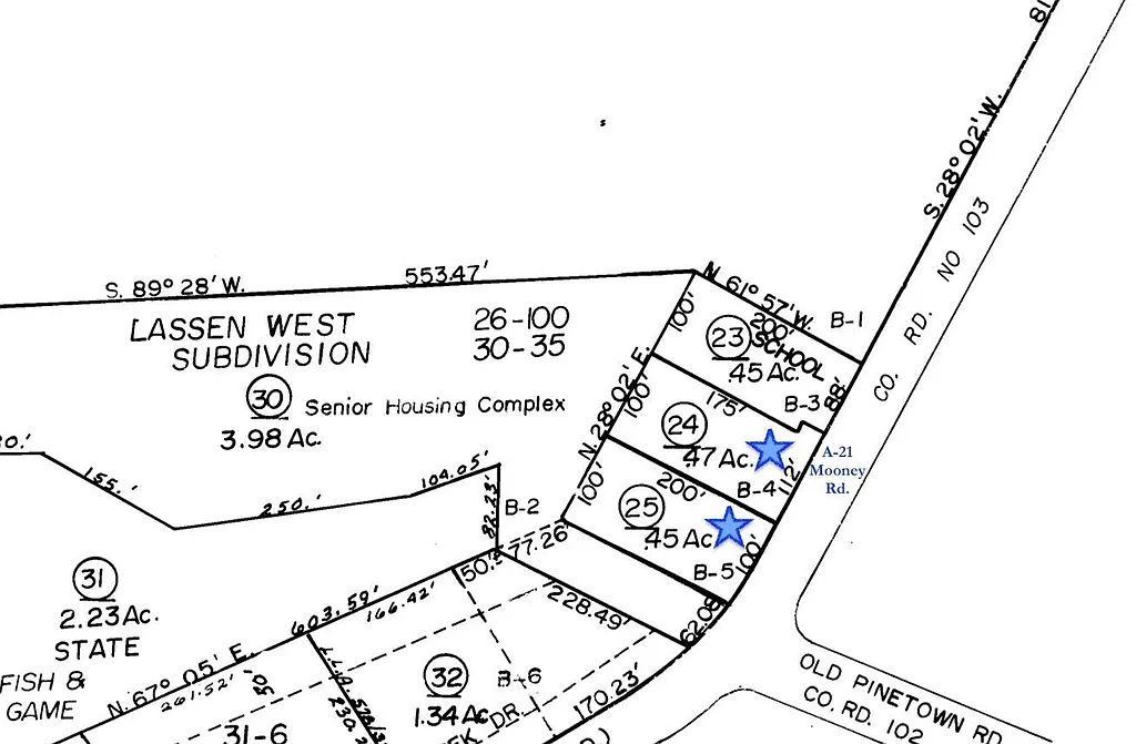
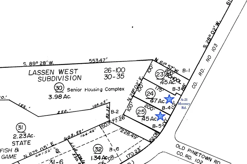
Here are two commercial lots for the price of one! They total .92 acre and are conveniently located in Westwood on Mooney Road (A-21) near the Senior Apartments and the former Westwood Charter School. There is plenty of room on the lots to build a wonderful commercial venture with a great mountain view. (One of the lots crosses a small portion of the Senior Housing Complex' driveway) Drive by and let your imagination do the rest! Spring has sprung and it's the perfect time put a plan together and start constructing something great! The APN for the second lot is 123-200-025 One lot totals .47 acre and the other is .45 acre, per county records. (You must satisfy yourself as to accuracy of county records.)
Based on current rates
Est. 6.75% rate · 30yr fixed · $31,600 loan
Full calculator →Key facts and listing details
3 categories of property features
Market data and value estimates
2 schools rated nearby
Westwood, CA, 96137
3 events
Local context around this listing
Westwood, CA • Lassen County
Nearby neighborhoods
Nearby cities
Nearby zip codes
The data relating to real estate for sale on this web site comes in part from the Internet Data exchange (“IDX”) program of the Plumas Association of Realtors. IDX information is provided exclusively for consumers' personal, non-commercial use and may not be used for any purpose other than to identify prospective properties consumers may be interested in purchasing. Information deemed reliable but not guaranteed. Copyright 2026 Plumas Association of Realtors. All Rights Reserved.
No obligation · Same-day response