Loading...

Bowling Green, KY, 42101 • 42101 • Warren County
-$11,000 since Mar 10, 2026
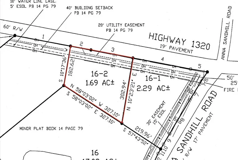
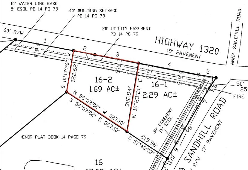
1.7 acLot
None
42101
This home is getting attention
Listed 154 days ago · 161 views · 13 saves
Demand and pricing signals for this listing
161 views
People checking out this listing
13 saves
Buyers have saved this home
154 days on market
Established listing
This home ranks in the top 48% of listings most likely to go under contract soon, based on market activity and demand signals.
Want the full market analysis?
Get the detailed selling prediction score, comparable sales data, and price trend forecast for this property.
Free · Delivered to your inbox in minutes
Lot
Very nice rural building Lot, 1.69 acres, near the intersection of Penns Chapel (Hwy 1320) and Anna Sandhill Rd. Less than 20 minutes from the heart of Bowling Green, this lot offers the peace and quiet of country living with all the conveniences nearby. No HOA! Please call to see it today!
Based on current rates
Est. 6.75% rate · 30yr fixed · $39,200 loan
Full calculator →Key facts and listing details
2 categories of property features
Market data and value estimates
3 schools rated nearby
Bowling Green, KY, 42101
2 events
Local context around this listing
Bowling Green, KY • Warren County
Nearby cities
Nearby zip codes
IDX information is provided exclusively for personal, non-commercial use, and may not be used for any purpose other than to identify prospective properties consumers may be interested in purchasing. Information is deemed reliable but not guaranteed.
No obligation · Same-day response