Loading...

Ripon, CA, 95366 • 95366 • San Joaquin County
-$15,000 since Feb 23, 2026
2 acLot
Demand and pricing signals for this listing
81 views
People checking out this listing
7 saves
Buyers have saved this home
123 days on market
Established listing
Lot
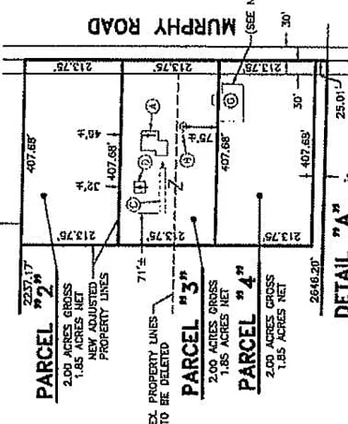
Close to town but country living, the best of both worlds! Selling three separate 2 acre lots on Murphy Road. Perfect spot to build your dream home! Lot line adjustment was just completed. MID electricity is optional. Please refer to the map when referring to parcels 2, 3 and 4. 2026-03-02
Based on current rates
Est. 6.18% rate · 30yr fixed · $428,000 loan
Full calculator →Key facts and listing details
Market data and value estimates
3 schools rated nearby
Ripon, CA, 95366
2 events
Local context around this listing
Ripon, CA • San Joaquin County
Nearby cities
Nearby zip codes
No obligation · Same-day response