Loading...

Cuba, NY, 14727 • 14727 • Allegany County
22.3 acLot
Scenic Views
Farm · Mountain · Private · Scenic · Street
Demand and pricing signals for this listing
117 views
People checking out this listing
7 saves
Buyers have saved this home
98 days on market
Established listing
Lot · Historic
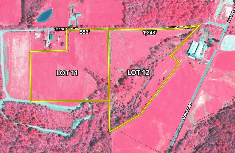
This 22.3-acre property sits high on Beebe Hil Road overlooking farm fields hills with a south facing view. Currently this property is used for pasture ground but offers an excellent opportunity for expanded agricultural use, future development, or a country home with ample road frontage of 1,243 feet. The land is well laid out for efficient farming while also offering flexibility for a variety of other uses. There is a sister lot (#11) connecting to this parcel that is prime hay ground if you chose to expand your ag land or a building site. Build a home or have a barn on Lot 12, and farm Lot 11. With a convenient access and field layout, this is a nice parcel for and multiple use possibilities. Call today for more details or to schedule a showing! ADDITIONAL INFORMATION: Timber and GMO rights convey, Tillable acres, Electric at the road, 3.85 miles to Cuba, 2.72 miles to Friendship, 3.1 miles to I-86. Taxes $TBD. Buyer agent must be present on all showings. Do not send clients out without accompanying them. Disclaimer: Map illustrations are for reference purposes only and not the representations of the Listing agent or brokerage Whitetail Properties Real Estate LLC. Illustrations are provided by Land ID. Parties should be advised to confirm Illustrations with licensed professional service providers.
Standout features identified
Our analysis highlights south facing view, convenient access, and overlooking farm fields hills as key attractions of this home.
Based on current rates
Est. 6.75% rate · 30yr fixed · $53,520 loan
Full calculator →Key facts and listing details
1 category of property features
Market data and value estimates
1 school rated nearby
Cuba, NY, 14727
1 event
Local context around this listing
Cuba, NY • Allegany County
Nearby cities
Nearby zip codes
No obligation · Same-day response