Loading...

Lancaster, CA, 93535 • 93535 • Los Angeles County
5.1 acLot
This home is getting attention
Listed 59 days ago · 3 views
Demand and pricing signals for this listing
3 views
People checking out this listing
59 days on market
Established listing
This home ranks in the top 23% of listings most likely to go under contract soon, based on market activity and demand signals.
Want the full market analysis?
Get the detailed selling prediction score, comparable sales data, and price trend forecast for this property.
Free · Delivered to your inbox in minutes
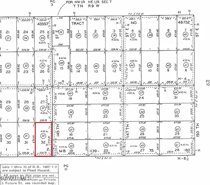
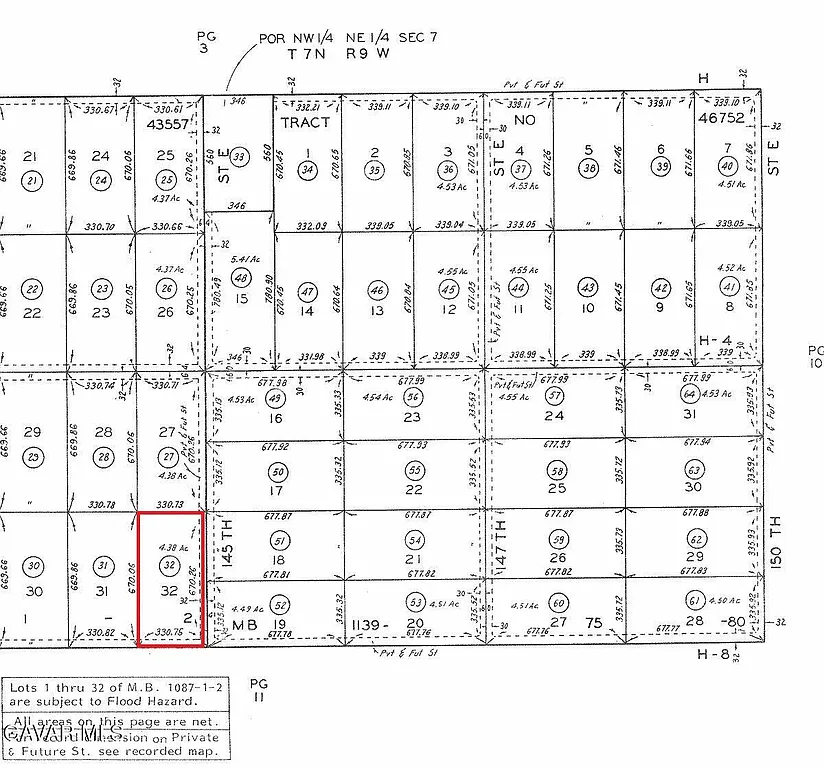
Lot
Great 5-acre land parcel for a great price! This land sits at the northwest corner of E Ave H8 and 145th St E, just east of paved 140th St. With this street frontage, there is no need for easements if you want to access or use the land. The time spent driving on dirt roads to reach this land is minimal. There are also power lines at 140th St. This property's location makes it very easy to reach, as Avenue H stretches all the way from this property to the freeway. Short drive to the conveniences of Lancaster, while being away from the hustle and bustle. This may be a great location to camp, go off-roading, install a mobile home, build a house, or start a small farm. Great price for 5 acres with this sort of accessibility. Don't miss out!
Based on current rates
Est. 6.75% rate · 30yr fixed · $19,920 loan
Full calculator →Key facts and listing details
Market data and value estimates
3 schools rated nearby
Lancaster, CA, 93535
1 event
Local context around this listing
Lancaster, CA • Los Angeles County
Nearby neighborhoods
Nearby cities
Nearby zip codes
IDX information is provided exclusively for personal, non-commercial use, and may not be used for any purpose other than to identify prospective properties consumers may be interested in purchasing. Information is deemed reliable but not guaranteed. The listing broker’s offer of compensation is made only to participants of the MLS where the listing is filed.
No obligation · Same-day response