Loading...

Lancaster, CA, 93535 • 93535 • Los Angeles County
120.6 acLot
Desert Views
Desert
Demand and pricing signals for this listing
12 views
People checking out this listing
14 days on market
Recently listed
Lot
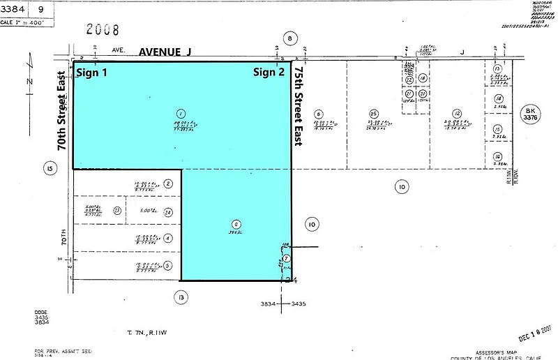
This rare 120.57± acre opportunity offers unmatched development potential along Avenue J, one of Lancaster’s busiest and most visible corridors. Includes two parcels - APN 3384-009-001: 80.15± acres and APN 3384-009-006: 40.42± acres. Located at the southeast corner of Avenue J & 70th–75th Street East, the property sits adjacent to the Lancaster Clean Energy Center and within reach of key commercial, industrial, and residential growth zones. Flexible zoning: Currently, zoned for Research and Development, Rural Residential, and Contractor Storage Yards, with the following permitted with a CUP: Alternative Energy, Building and Related Trades, Distribution, Light Manufacturing, Vehicle and Equipment Repairs, Food Manufacturing, Processing, Wholesale Sales and Storage, and Warehousing. A rare equity by-back opportunity is also available. With secure water rights, dedicated power infrastructure, and an exceptional location, these parcels represent one of Lancaster’s premier large-scale development opportunities. Whether for energy, industry, healthcare, or community services, this site is well-positioned to support transformative projects that meet both local and statewide demand. Includes a turnkey water system with a newly drilled 580’ well, 150 hp Flowise Pump & Emerson Motor, exclusive power supply via five SCE utility poles dedicated to the parcels, and negotiable water rights in perpetuity: 50 acre-feet/year (with an additional 500 acre-feet of carryover production available).
Based on current rates
Est. 6.43% rate · 30yr fixed · $3,996,000 loan
Full calculator →Key facts and listing details
4 categories of property features
Market data and value estimates
3 schools rated nearby
Lancaster, CA, 93535
1 event
Local context around this listing
Lancaster, CA • Los Angeles County
Nearby neighborhoods
Nearby cities
Nearby zip codes
The multiple listing data appearing on this website, or contained in reports produced therefrom, is owned and copyrighted by California Regional Multiple Listing Service, Inc. ("CRMLS") and is protected by all applicable copyright laws. Information provided is for viewer's personal, non-commercial use and may not be used for any purpose other than to identify prospective properties the viewer may be interested in purchasing. All listing data, including but not limited to square footage and lot size is believed to be accurate, but the listing Agent, listing Broker and CRMLS and its affiliates do not warrant or guarantee such accuracy. The viewer should independently verify the listed data prior to making any decisions based on such information by personal inspection and/or contacting a real estate professional. Based on information from California Regional Multiple Listing Service, Inc. as of 2026-02-09 09:51:42 PST and /or other sources. All data, including all measurements and calculations of area, is obtained from various sources and has not been, and will not be, verified by broker or MLS. All information should be independently reviewed and verified for accuracy. Properties may or may not be listed by the office/agent presenting the information
No obligation · Same-day response