Loading...

Lancaster, CA, 93536 • 93536 • Los Angeles County
0.17 acLot
3d on Market
Listed Apr 12, 2026
Demand and pricing signals for this listing
49 views
People checking out this listing
3 days on market
Just listed — act fast
Lot
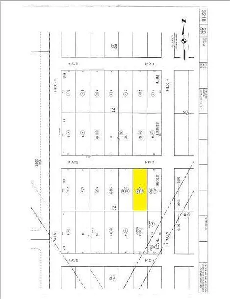
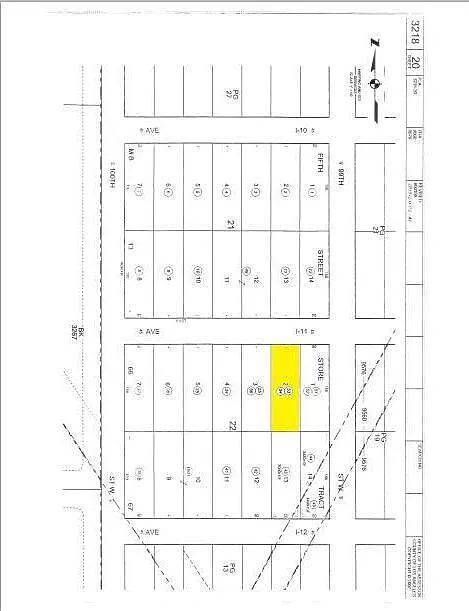
7535 sq ft residential lot in west Lancaster. Located north of Ave J and just east of 100th St West. APN 3218-020-053.
Based on current rates
Est. 6.75% rate · 30yr fixed · $8,000 loan
Full calculator →Key facts and listing details
2 categories of property features
Market data and value estimates
3 schools rated nearby
Lancaster, CA, 93536
1 event
Local context around this listing
Lancaster, CA • Los Angeles County
Nearby neighborhoods
Nearby cities
Nearby zip codes
IDX information is provided exclusively for personal, non-commercial use, and may not be used for any purpose other than to identify prospective properties consumers may be interested in purchasing. Information is deemed reliable but not guaranteed. The listing broker’s offer of compensation is made only to participants of the MLS where the listing is filed.
No obligation · Same-day response