Loading...

Lumberton, NJ, 08048 • 08048 • Burlington County
2.4 acLot
None Ava Ilable
08048
1d on Market
Listed Apr 14, 2026
Demand and pricing signals for this listing
74 views
People checking out this listing
14 saves
Buyers have saved this home
1 day on market
Just listed — act fast
Lot
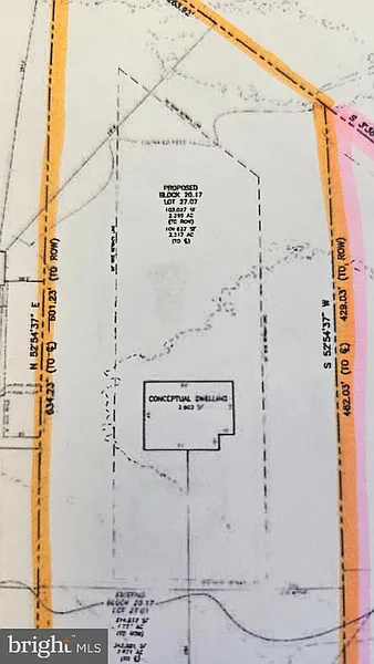
Build your dream home on this prime piece of real estate where the critical engineering groundwork has already been completed. Located at 338 East Landing Street in Lumberton Township, this spacious lot (Block 20.17, Lot 27.07) is ready for a builder to step in and get started. Comprehensive engineering and drainage plans have been professionally prepared by Peterman Maxcy Associates, LLC, saving you months of preparation time. Key Engineering Work and Site Improvements Completed: Fully Developed Drainage Plans: Detailed post-development drainage plans are already in place. Stormwater Management Design: The plans feature engineered infiltration basins, specifically designed to handle current and future rainfall depths. Utility and Site Access: Driveway apron has already been cut, and PSE&G easements have been clearly identified. Reserved Septic Areas: Septic system area has been reserved. Soil and Safety Analysis: Professional test pits have been completed, confirming infiltration rates, and the design includes a 20-foot emergency spillway for superior site safety. Site Layout: Proposed dwelling footprints have already been identified on the plans, allowing you to visualize exactly where your new home will sit on this beautiful property. Financials: Roll back taxes have been paid in full. Skip the uncertainty of the early planning phases and move straight toward your build with a site that has been meticulously analyzed and engineered for success. (The estimated per year amounts could change slightly depending on the 2026 Tax Rate issued this July)
Based on current rates
Est. 6.75% rate · 30yr fixed · $148,000 loan
Full calculator →Key facts and listing details
1 category of property features
Market data and value estimates
3 schools rated nearby
Lumberton, NJ, 08048
1 event
Local context around this listing
Lumberton, NJ • Burlington County
Nearby cities
Nearby zip codes
The data relating to real estate for sale on this website appears in part through the BRIGHT Internet Data Exchange program, a voluntary cooperative exchange of property listing data between licensed real estate brokerage firms, and is provided by BRIGHT through a licensing agreement. Listing information is from various brokers who participate in the Bright MLS IDX program and not all listings may be visible on the site. The property information being provided on or through the website is for the personal, non-commercial use of consumers and such information may not be used for any purpose other than to identify prospective properties consumers may be interested in purchasing. Some properties which appear for sale on the website may no longer be available because they are for instance, under contract, sold or are no longer being offered for sale. Property information displayed is deemed reliable but is not guaranteed. Copyright 2026 Bright MLS, Inc. [Click here for more information](/mls-disclaimers/#5632)
No obligation · Same-day response