Loading...

Marcola, OR, 97454 • 97454 • Lane County
8.1 acLot
Waterfront Property
Creek
Scenic Views
Mountain(s) · Trees/Woods · Valley
Special Features
Existing Structures · MobileHome · Shed
This home is in high demand
Listed 34 days ago · 1,084 views · 63 saves · Top 10% likely to sell soon
Demand and pricing signals for this listing
1,084 views
People checking out this listing
63 saves
Buyers have saved this home
34 days on market
Established listing
This home ranks in the top 10% of listings most likely to go under contract soon, based on market activity and demand signals.
Want the full market analysis?
Get the detailed selling prediction score, comparable sales data, and price trend forecast for this property.
Free · Delivered to your inbox in minutes
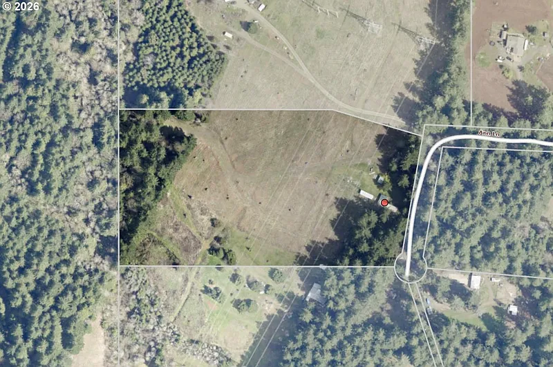
Lot
Rare Affordable 8+ Acres of Pasture & Woods!!! Possible 2nd building site with wooded setting and creek frontage! Existing mobile of little to no value is ready to be replaced by your new home with views of pasture, woods & little valley. There are powerlines overhead, but this acreage has a lot to offer!
Standout features identified
Our analysis highlights wooded setting and creek frontage as key attractions of this home.
Based on current rates
Est. 6.75% rate · 30yr fixed · $132,000 loan
Full calculator →Key facts and listing details
4 categories of property features
Market data and value estimates
2 schools rated nearby
Marcola, OR, 97454
2 events
19 years of records
Local context around this listing
Marcola, OR • Lane County
Nearby cities
Nearby zip codes
The content relating to real estate for sale on this web site comes in part from the IDX program of the RMLS™ of Portland, Oregon. Real estate listings held by brokerage firms other than Zillow, Inc. are marked with the RMLS™ logo, and detailed information about these properties includes the names of the listing brokers. Listing content is copyright © 2026 RMLS™, Portland, Oregon. This content last updated on 2026-03-16 05:04:14 PDT. Some properties which appear for sale on this web site may subsequently have sold or may no longer be available. All information provided is deemed reliable but is not guaranteed and should be independently verified.
No obligation · Same-day response