Loading...

Erie, PA, 16507 • 16507 • Erie County
0.46 acLot
Demand and pricing signals for this listing
55 views
People checking out this listing
176 days on market
Established listing
Lot
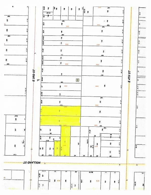
The development site is in the shadow of the UPMC campus. There is access from both East 3rd & Holland Streets with 82' frontage on E 3rd & 63' on Holland. Four lots are included. Index #'s are 14-010-009.0-119.00; 120.00; 125.00; 126.00. Acreage & property tax computation is for combined parcels. Soil evaluation completed. Report available upon request
Based on current rates
Est. 6.80% rate · 30yr fixed · $171,920 loan
Full calculator →Key facts and listing details
2 categories of property features
Market data and value estimates
3 schools rated nearby
Erie, PA, 16507
4 events
23 years of records
Local context around this listing
Erie, PA • Erie County
Nearby neighborhoods
Nearby cities
Nearby zip codes
IDX information is provided exclusively for personal, non-commercial use, and may not be used for any purpose other than to identify prospective properties consumers may be interested in purchasing. Information is deemed reliable but not guaranteed.
No obligation · Same-day response