Loading...

Portland, OR, 97266 • Powellhurst Gilbert • Multnomah County
0.26 acLot
Lents
Powellhurst Gilbert
Special Features
Existing Structures · Residence
Demand and pricing signals for this listing
2 views
People checking out this listing
610 days on market
Established listing
Lot
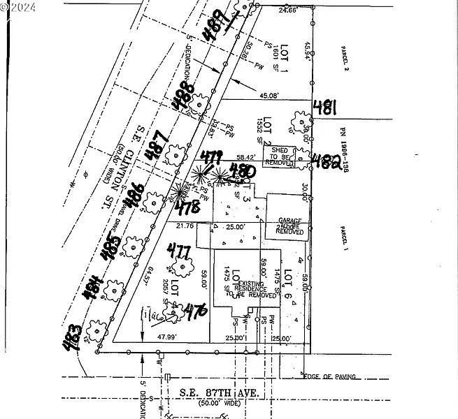
Fixer opportunity! Huge corner lot with an existing home, fenced backyard and endless options. Bring this classic PDX home back to life, start from scratch and build multiple new properties, or a combination of both. In 2008 there was conditional approval for a six lot subdivision (five lots for detached homes and one lot for a duplex).The 11,475 square foot lot has the potential to be divided into multiple additional lots while keeping the existing house. Zoned RM2 allows for multiple different development opportunities. A 95 bike score and 87 walk score give this property excellent accessibility.
Based on current rates
Est. 6.50% rate · 30yr fixed · $236,000 loan
Full calculator →Key facts and listing details
3 categories of property features
Market data and value estimates
2 schools rated nearby
Portland, OR, 97266
12 events
26 years of records
Local context around this listing
Portland, OR • Multnomah County
Nearby neighborhoods
Nearby cities
Nearby zip codes
The content relating to real estate for sale on this web site comes in part from the IDX program of the RMLS™ of Portland, Oregon. Real estate listings held by brokerage firms other than Zillow, Inc. are marked with the RMLS™ logo, and detailed information about these properties includes the names of the listing brokers. Listing content is copyright © 2026 RMLS™, Portland, Oregon. This content last updated on 2026-04-01 14:04:07 PDT. Some properties which appear for sale on this web site may subsequently have sold or may no longer be available. All information provided is deemed reliable but is not guaranteed and should be independently verified.
No obligation · Same-day response