Loading...

Ocean Shores, WA, 98569 • 98569 • Grays Harbor County
0.25 acLot
Waterfront Property
Ocean Access
Scenic Views
Ocean · Territorial
Ocean Shores
98569
Demand and pricing signals for this listing
1 views
People checking out this listing
529 days on market
Established listing
Lot
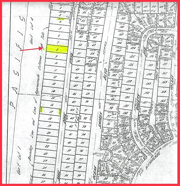
Ocean Shores, Washington OCEAN FRONT LOT For Sale: This 11,100 sqft parcel features 185’ sidelines and 60’ of ocean frontage. Another phenomenal location 8 lots from Taurus beach approach and near two community club parks; one with swimming pool, tennis and basketball courts and playfield. Short distance from lakes and canals, and our 18-hole PGA rated golf course. Partially cleared at one time. Sit on this real estate investment, build the waterfront home of your dreams, or bring your RV and “camp” for up to 90 days per year. That is right! The city allows RV camping with restrictions on this residential parcel. Utilities (water, power, sewer) are in street and available for hookup. Conveniently located 3 hrs from Seattle or Portland, OR.
Based on current rates
Est. 6.75% rate · 30yr fixed · $80,000 loan
Full calculator →Key facts and listing details
5 categories of property features
Market data and value estimates
3 schools rated nearby
Ocean Shores, WA, 98569
11 events
23 years of records
Local context around this listing
Ocean Shores, WA • Grays Harbor County
Nearby cities
Nearby zip codes
Based on information submitted to the MLS GRID as of 2026-04-07 18:38:53 PDT. All data is obtained from various sources and may not have been verified by broker or MLS GRID. Supplied Open House Information is subject to change without notice. All information should be independently reviewed and verified for accuracy. Properties may or may not be listed by the office/agent presenting the information. [Click here for more information](/mls-disclaimers/#39)
No obligation · Same-day response