Loading...

Oakley, CA, 94561 • 94561 • Contra Costa County
-$76,000 since Apr 4, 2026
2 acLot
This home is getting attention
Listed 27 days ago · 516 views · 24 saves
Demand and pricing signals for this listing
516 views
People checking out this listing
24 saves
Buyers have saved this home
27 days on market
Recently listed
This home ranks in the top 44% of listings most likely to go under contract soon, based on market activity and demand signals.
Want the full market analysis?
Get the detailed selling prediction score, comparable sales data, and price trend forecast for this property.
Free · Delivered to your inbox in minutes
Lot
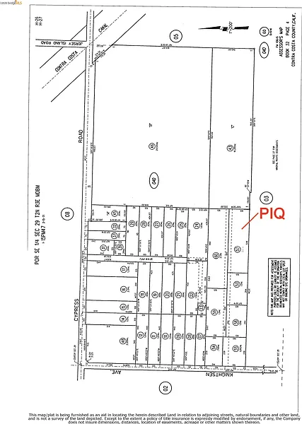
Welcome to the perfect size parcel for your next home. Located minutes away from town but a quiet location down a private road is your new opportunity for ranch living. Located in the town of Knightsen, with an Oakley mailing address, this blank slate is perfect for your dreams. What makes this area special, About 55 miles east of San Francisco, Near Mount Diablo with lots of hiking trails, on the edge of the California Delta waterways, surrounded by farms and ranches, horse properties with a handful of country roads and homes. This parcel is zoned agricultural. For specific building questions please contact Contra Costa Country Building and Zoning Departments. Seller will consider a carry with large down payment. There is a shared well located on a neighboring parcel for immediate water needs, electrical appears to be in front of the lot, check with PGE for further questions.
Based on current rates
Est. 6.18% rate · 30yr fixed · $399,200 loan
Full calculator →Key facts and listing details
2 categories of property features
Market data and value estimates
3 schools rated nearby
Oakley, CA, 94561
2 events
11 years of records
Local context around this listing
Oakley, CA • Contra Costa County
Nearby cities
Nearby zip codes
Bay East 2026. CCAR 2026. bridgeMLS 2026. Information Deemed Reliable But Not Guaranteed. This information is being provided by the Bay East MLS, or CCAR MLS, or bridgeMLS. The listings presented here may or may not be listed by the Broker/Agent operating this website. This information is intended for the personal use of consumers and may not be used for any purpose other than to identify prospective properties consumers may be interested in purchasing. Data last updated at 2026-04-07 05:19:17 PDT.
No obligation · Same-day response