Loading...

Bethlehem, PA, 18018 • 18018 • Lehigh County
Down payment assistance available
0.66 acLot
Not in Development
18018
This home is getting attention
Listed 11 days ago · 824 views · 17 saves
Demand and pricing signals for this listing
824 views
People checking out this listing
17 saves
Buyers have saved this home
11 days on market
Recently listed
This home ranks in the top 39% of listings most likely to go under contract soon, based on market activity and demand signals.
Want the full market analysis?
Get the detailed selling prediction score, comparable sales data, and price trend forecast for this property.
Free · Delivered to your inbox in minutes
Single Family
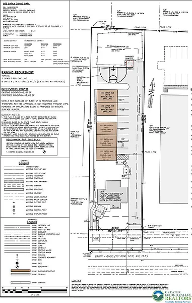
Approved for a 6-dwelling configuration, this offering includes an existing, income-producing Cape Cod residence along with approvals in place for 5 new-construction townhomes. The townhome development consists of 1 triplex and 1 duplex, thoughtfully designed with driveway access, front parking, and pedestrian walkways leading to the rear of each home—an efficient and attractive layout for future residents. The existing detached Cape Cod features 3 bedrooms and 2 full baths and presents immediate rental upside. Most recently leased in 2026 for $2,600/month, the home is currently vacant and ready for occupancy or repositioning. Additionally, two of the three garage bays are leased on a month-to-month basis, generating $350/month in supplemental income. Ideally situated in a highly accessible location, the property is within walking distance to major employers including Jefferson Health Network and St. Luke’s University Health Network facilities. Residents will also benefit from close proximity to highway access and the area’s charming Historic District, offering dining, shopping, and lifestyle amenities just minutes away.
Based on current rates
Est. 6.10% rate · 30yr fixed · $558,400 loan
Full calculator →Key facts and listing details
2 categories of property features
Market data and value estimates
3 schools rated nearby
Bethlehem, PA, 18018
24 events
22 years of records
Local context around this listing
Bethlehem, PA • Lehigh County
Nearby neighborhoods
Nearby cities
Nearby zip codes
IDX information is provided exclusively for personal, non-commercial use, and may not be used for any purpose other than to identify prospective properties consumers may be interested in purchasing. Information is deemed reliable but not guaranteed.
No obligation · Same-day response